Large freehold site with adjacent planning precedent and strong mobile coverage.
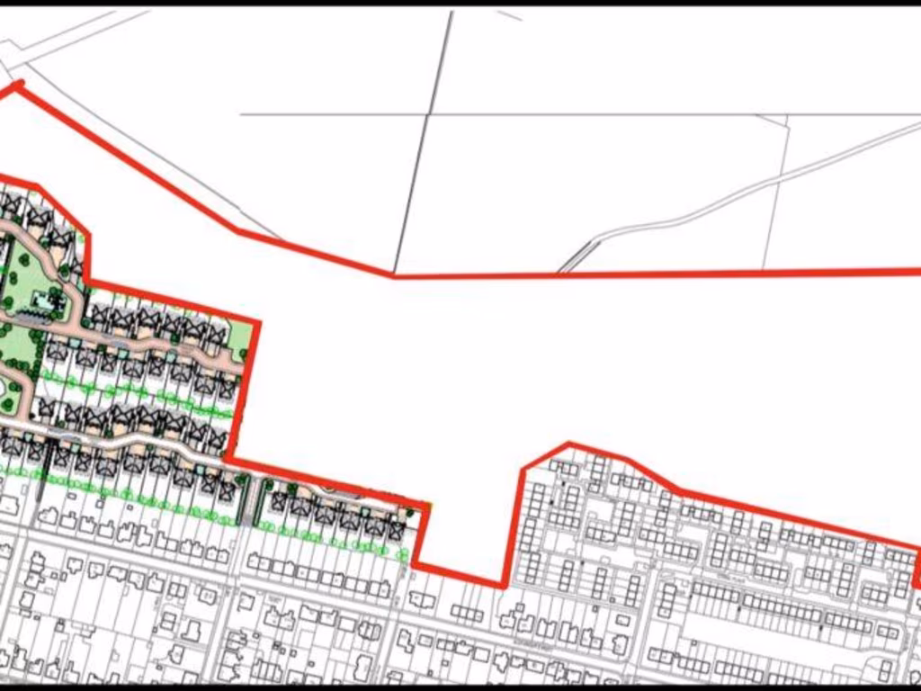
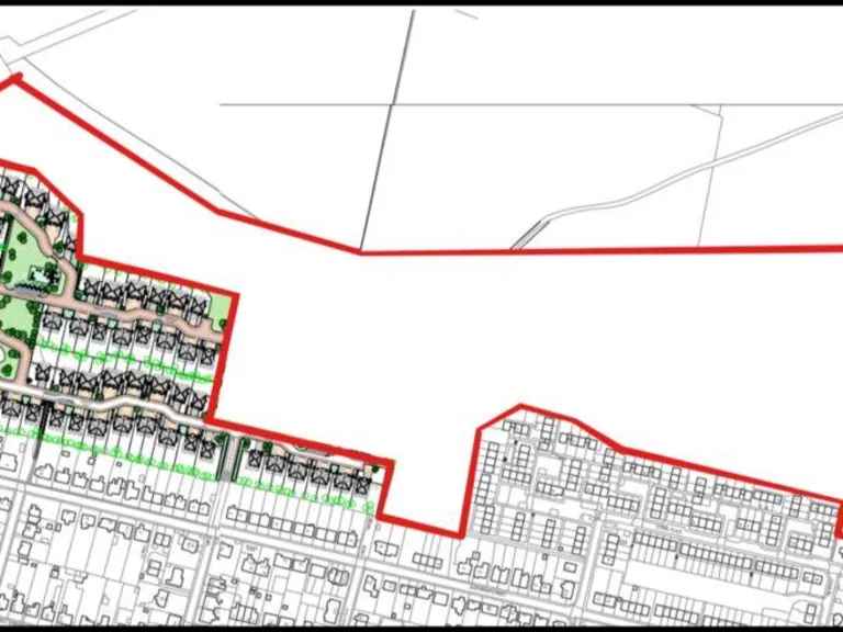
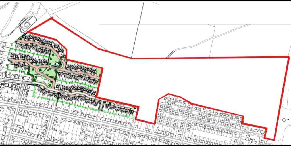
- Freehold development site of 201,247 sq ft
- Adjacent planning consent for 101 homes (19/01456/PP)
- Pre-application discussed for hotel and leisure (21/02008/PREAPP)
- Auction sale — sold as seen, quick-sale pricing
- Excellent mobile signal; broadband speeds average
- Located in a very deprived local area (may affect demand)
- Requires investigation of services, access and planning feasibility
- Likely significant site preparation and infrastructure costs
A substantial freehold site of 201,247 sq ft offered for sale by auction, presented mainly to developers and investors. The lot sits in Dunoon with excellent mobile signal and average broadband; local area is described as very deprived which may influence local housing demand and grant opportunities.
Planning context is mixed but promising: an adjacent consent (19/01456/PP) approved for 101 houses on 28.9.21, and a pre-application (21/02008/PREAPP) has been discussed with Argyll & Bute Council for a hotel and leisure complex. Any purchaser must research and secure their own permissions; existing notes do not guarantee approvals for this parcel.
This is a quick-sale auction opportunity priced to attract offers. The site could suit residential or commercial redevelopment, subject to feasibility, infrastructure costs and planning. Buyers should allow for site preparation, potential servicing works, and the costs and timeline of obtaining planning consent.
Known positives: large contiguous area, freehold tenure, nearby approved residential scheme and pre-app discussions for commercial leisure, excellent mobile signal. Notable drawbacks: located in a very deprived area, broadband only average, sale is auction-only and sold as seen — detailed due diligence recommended before bidding.
Land for sale in Plot 5 At Alexander Street And Gordon Street, Dunoon, PA23 7EJ, PA23 — £20,000 • 1 bed • 1 bath
Land for sale in Plot 6 At Alexander Street And Gordon Street, Dunoon, PA23 7EJ, PA23 — £18,000 • 1 bed • 1 bath
Land for sale in Plot 4 At Alexander Street And Gordon Street, Dunoon, PA23 7EJ, PA23 — £20,000 • 1 bed • 1 bath
Land for sale in Plot 6 At Alexander Street And Gordon Street, Dunoon, PA23 7EJ, PA23 — £20,000 • 1 bed • 1 bath
Land for sale in 9 Marine Parade, Kirn, Dunoon, PA23 8HE, PA23 — £150,000 • 1 bed • 1 bath
2 bedroom apartment for sale in 4A Church Street, Moir Place, Dunoon, PA23 8BG, PA23 — £48,000 • 2 bed • 1 bath














