Significant coastal plot offering high potential for experienced developers.
Approximately 199,940 sq ft development site
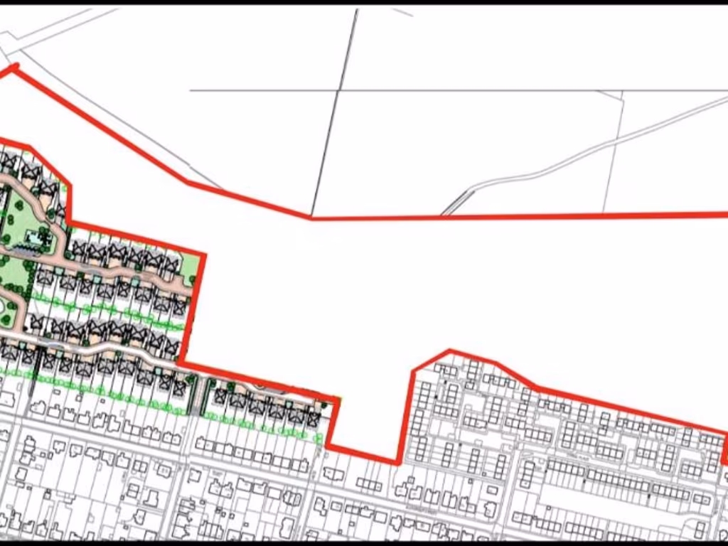
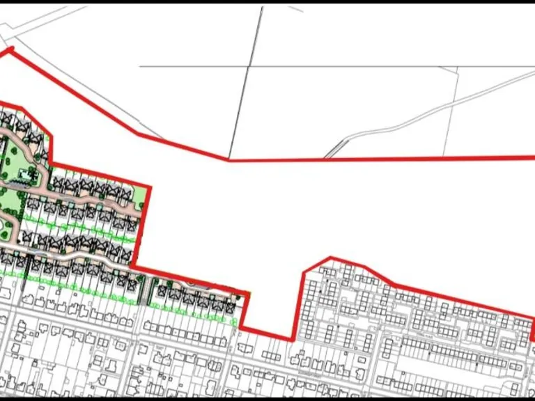
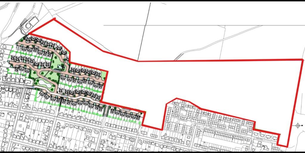
A large development site of approximately 199,940 sq ft in Dunoon, offered at a low guide price and being sold at auction. The plot sits close to land where planning for 101 dwellings was approved (19/01456/PP) and where a pre‑application for a hotel and leisure complex (21/02008/PREAPP) has been discussed with Argyll & Bute Council, indicating clear local development interest.
This opportunity will suit experienced developers or investors prepared to carry out detailed due diligence and secure all necessary consents. Services, access and drainage require verification on site; broadband is average while mobile signal is excellent. Flood risk is recorded as none, but tenure is unknown and prospective buyers should confirm title, services, and constraints before bidding.
Bear in mind the site lies in an area described as very deprived, which can affect short‑term values and demand; adjacent residential development may improve long‑term prospects. The lot is offered for quick sale at auction for buyers ready to act, and local recent sales provide some comparables but are not guarantees of future value.
This is a speculative, higher‑risk, potentially high‑reward land purchase. It offers scale and location benefits near coastal tourism and leisure assets, but requires planning, infrastructure investment and a clear commercial strategy before development can proceed.
Land for sale in Plot 5 At Alexander Street And Gordon Street, Dunoon, PA23 7EJ, PA23 — £20,000 • 1 bed • 1 bath
Land for sale in Plot 4 At Alexander Street And Gordon Street, Dunoon, PA23 7EJ, PA23 — £20,000 • 1 bed • 1 bath
Land for sale in Plot 6 At Alexander Street And Gordon Street, Dunoon, PA23 7EJ, PA23 — £18,000 • 1 bed • 1 bath
Land for sale in Plot 4 At Alexander Street And Gordon Street, Dunoon, PA23 7EJ, PA23 — £20,000 • 1 bed • 1 bath
Land for sale in 9 Marine Parade, Kirn, Dunoon, PA23 8HE, PA23 — £150,000 • 1 bed • 1 bath
Land for sale in 9 Marine Parade, Kirn, Dunoon, PA23 8HE, PA23 — £150,000 • 1 bed • 1 bath














