**Standout Features:**
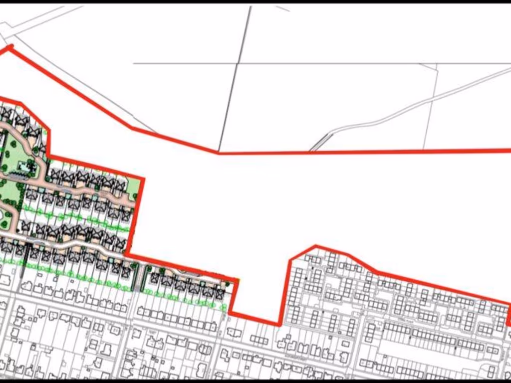
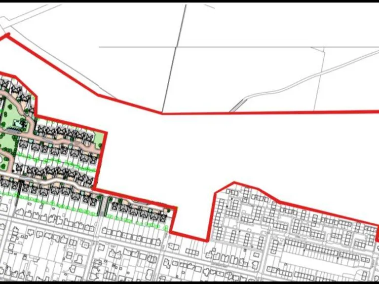
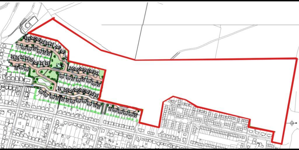
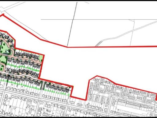
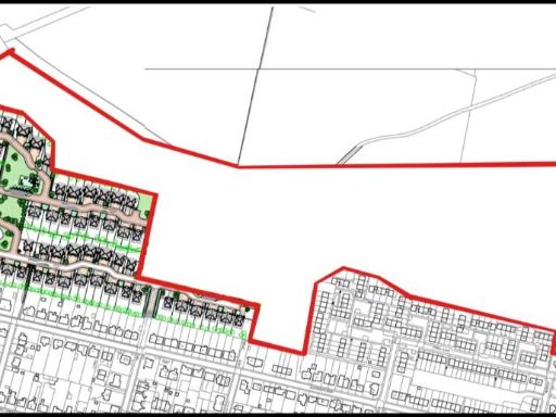
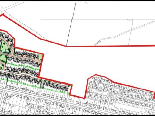
- Substantial land parcel of 199,940.4 square feet
- Planning permissions for 101 residential units approved nearby
- Potential for commercial development (hotel with amenities)
- Freehold tenure
- Affordable starting price at £18,000
**Concerns:**
- Subject to further planning permissions for developers
- Area classified as very deprived
This expansive land opportunity in Dunoon, PA23 7EJ, offers incredible potential for visionary developers and investors. Spanning nearly 200,000 square feet, the site is perfectly positioned for lucrative residential or commercial projects, with recent local council approvals for 101 dwelling houses on adjacent land and exciting proposals for a hotel complete with leisure facilities.
Dunoon, known for its stunning coastal scenery and thriving tourism, is experiencing growth in hospitality and leisure sectors. This location not only promises a vibrant atmosphere with year-round events but grants easy access to recreational amenities. While the community is described as 'very deprived', the investment potential here is significant—this could be your chance to capitalize on the area's economic resurgence. With a low entry price and significant development possibilities, this is an exclusive opportunity that won’t last long. Offer now and take the first step towards transforming this plot into a profitable venture!
Land for sale in Plot 5 At Alexander Street And Gordon Street, Dunoon, PA23 7EJ, PA23 — £20,000 • 1 bed • 1 bath
Land for sale in Plot 4 At Alexander Street And Gordon Street, Dunoon, PA23 7EJ, PA23 — £20,000 • 1 bed • 1 bath
Land for sale in Plot 6 At Alexander Street And Gordon Street, Dunoon, PA23 7EJ, PA23 — £20,000 • 1 bed • 1 bath
Land for sale in Plot 4 At Alexander Street And Gordon Street, Dunoon, PA23 7EJ, PA23 — £20,000 • 1 bed • 1 bath
Land for sale in 9 Marine Parade, Kirn, Dunoon, PA23 8HE, PA23 — £50,000 • 1 bed • 1 bath
Land for sale in Land At Highholm Street, Lilybank, Port Glasgow, PA14 — £110,000 • 1 bed • 1 bath














