Large coastal plot near recent residential consent ideal for experienced developers.
Approximately 199,940 sq ft freehold development site
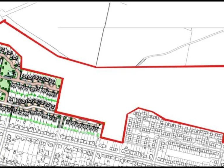
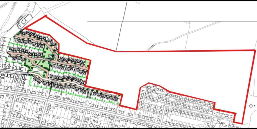
A substantial freehold development site of approximately 199,940 sq ft in Dunoon, offered for sale by auction with a low guide price of £20,000. The plot sits near land where Argyll & Bute Council granted planning consent for 101 dwellings and where a commercial pre-application for a large hotel and leisure complex has been lodged — indicators of local development interest, not guarantees of permission for this site.
This opportunity will suit experienced developers or investors able to carry out detailed due diligence and secure planning consents. The site benefits from excellent mobile signal and no identified flood risk, and its coastal location taps into Dunoon’s tourism and leisure market. Sale is by auction, so bidders should be prepared for a quick transaction timeline and to confirm finances in advance.
Buyers should note clear drawbacks: the surrounding area is classified as very deprived, broadband speeds are slow, and any development will be subject to planning and infrastructure requirements. The low guide price reflects the need for investment in services, planning and likely remediation works. Treat the adjacent approvals as context rather than assurances — seek professional planning and site surveys before bidding.
Land for sale in Plot 4 At Alexander Street And Gordon Street, Dunoon, PA23 7EJ, PA23 — £18,000 • 1 bed • 1 bath
Land for sale in Plot 6 At Alexander Street And Gordon Street, Dunoon, PA23 7EJ, PA23 — £18,000 • 1 bed • 1 bath
Land for sale in Plot 6 At Alexander Street And Gordon Street, Dunoon, PA23 7EJ, PA23 — £20,000 • 1 bed • 1 bath
Land for sale in Plot 4 At Alexander Street And Gordon Street, Dunoon, PA23 7EJ, PA23 — £20,000 • 1 bed • 1 bath
Land for sale in 9 Marine Parade, Kirn, Dunoon, PA23 8HE, PA23 — £150,000 • 1 bed • 1 bath
Land for sale in 9 Marine Parade, Kirn, Dunoon, PA23 8HE, PA23 — £150,000 • 1 bed • 1 bath














