Large coastal site with approved neighbouring residential consent and strong tourism potential..
201,247 sq ft site offered at auction for £18,000
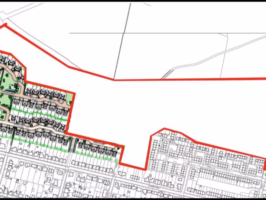
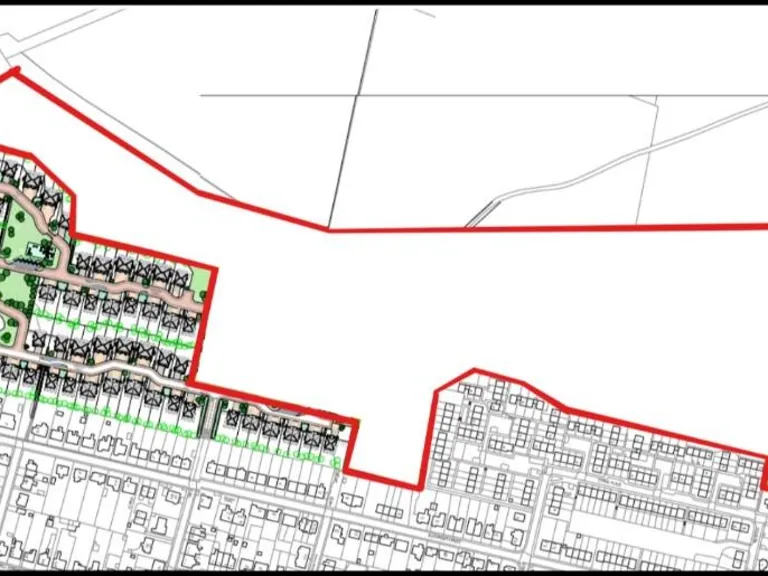
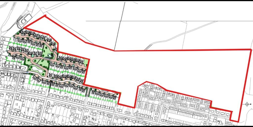
This is a substantial 201,247 sq ft development site offered for sale at auction for £18,000. The plot sits in Dunoon close to the coast and existing residential development; an adjacent site has consent for 101 homes, and a pre-application for a hotel and leisure complex has been submitted to the local council. These factors indicate clear development interest locally but do not guarantee permissions for this plot.
The site will suit developers or investors able to carry out detailed due diligence and secure necessary consents. Tenure is unknown and the lot is offered at auction, so purchasers should factor in legal and title checks, potential abnormal costs and the competitive auction process. Broadband speeds are average; mobile signal is excellent and there is no identified flood risk.
Buyers should note the wider area is classified as very deprived, which may affect market values and grant or funding eligibility. The listing presents a value-driven opportunity priced to encourage a quick sale, but significant planning, infrastructure and remediation work may be required before construction or commercial use.
In short: a large, low-priced coastal-edge site with nearby residential consent and leisure pre-application — attractive to hands-on developers prepared to manage planning, tenure and local socio-economic challenges.
Land for sale in Plot 5 At Alexander Street And Gordon Street, Dunoon, PA23 7EJ, PA23 — £20,000 • 1 bed • 1 bath
Land for sale in Plot 4 At Alexander Street And Gordon Street, Dunoon, PA23 7EJ, PA23 — £20,000 • 1 bed • 1 bath
Land for sale in Plot 6 At Alexander Street And Gordon Street, Dunoon, PA23 7EJ, PA23 — £18,000 • 1 bed • 1 bath
Land for sale in Plot 6 At Alexander Street And Gordon Street, Dunoon, PA23 7EJ, PA23 — £20,000 • 1 bed • 1 bath
Land for sale in 9 Marine Parade, Kirn, Dunoon, PA23 8HE, PA23 — £150,000 • 1 bed • 1 bath
Land for sale in 9 Marine Parade, Kirn, Dunoon, PA23 8HE, PA23 — £150,000 • 1 bed • 1 bath














