Ready-for-delivery industrial site with planning and strong development potential.
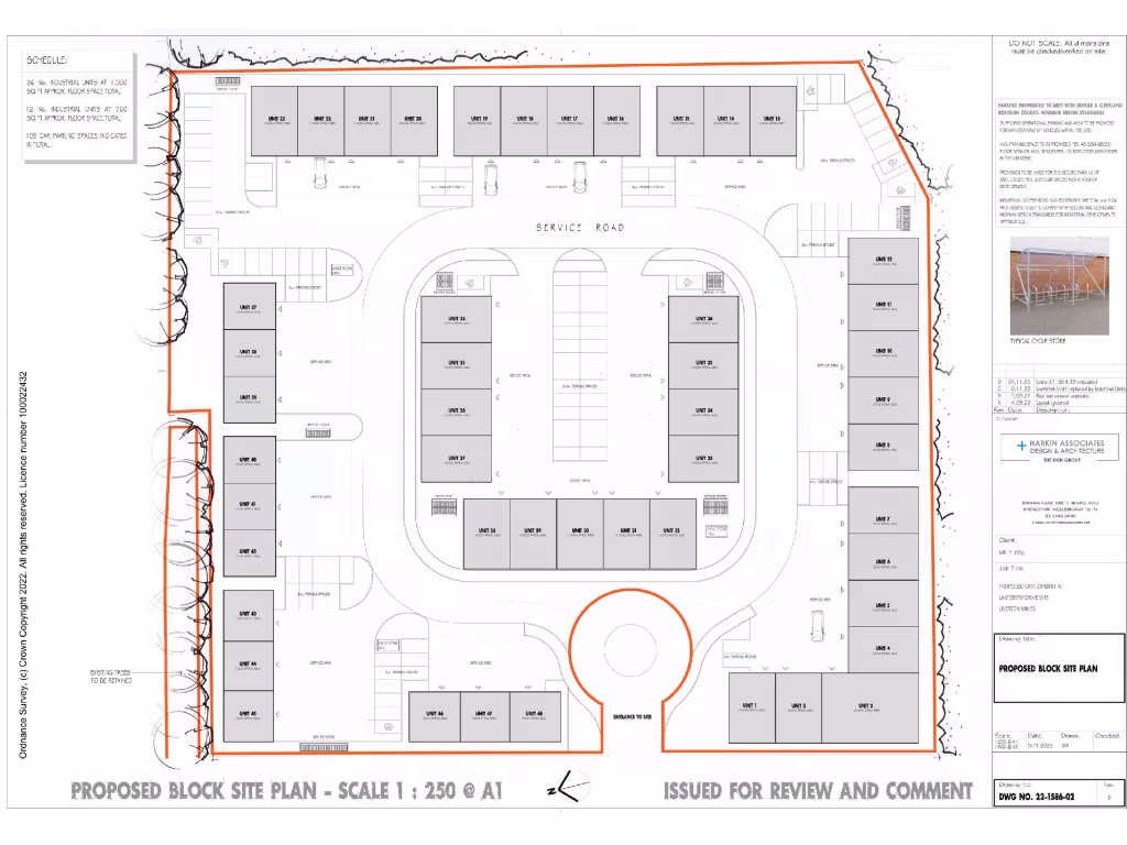
4.1 acres with outline planning for 48 industrial units
A substantial 4.1-acre development parcel on Lantsbery Drive offered with outline planning (R/2022/0799/OOM) for up to 48 industrial units totalling circa 48,000 sq ft and associated parking. The site sits within an established industrial/workshop cluster on the town fringe, with direct access from Lantsbery Drive and no reported flood risk.
This opportunity suits a developer or investor targeting small industrial/workshop accommodation in a location with fast broadband and clear planning scope. The land is owned in an SPV and can be acquired via a share sale, providing flexibility for transaction structure and tax planning.
Buyers should note material area drawbacks: the neighbourhood scores high for deprivation, local crime levels are above average, and the tenure is unspecified. Services connections, detailed reserved matters and construction costs will require confirmation before commencement. These factors have been reflected in pricing and represent both risk and potential upside for value-add investors prepared to manage community and delivery challenges.
Nearby amenities include primary and secondary schooling with several ‘Outstanding’ Ofsted-rated schools close by, plus local leisure and playground facilities. The site’s clustered layout and existing industrial context reduce planning risk for industrial use, making it a pragmatic option for occupationally focused investment or phased development.
Land for sale in Lantsbery Drive, Liverton, Saltburn-by-the-Sea, TS13 4QZ, TS13 — £425,000 • 1 bed • 1 bath • 15010 ft²
Commercial development for sale in Skelton Industrial Estate, TS12 — £595,000 • 1 bed • 1 bath
Land for sale in Westerby Road, Middlesbrough, North Yorkshire, TS3 — £50,000 • 1 bed • 1 bath • 5663 ft²
Showroom for sale in Land/Compound at, Brewsdale Road, Middlesbrough, TS3 — £950,000 • 1 bed • 1 bath
Commercial development for sale in Brighouse Business Village, Brighouse Road, Middlesbrough, North Yorkshire, TS2 — £1,200,000 • 1 bed • 1 bath
Land for sale in Land at Ainstable Road, Ormesby, Middlesbrough, TS7 — £1,000,000 • 1 bed • 1 bath










