**Standout Features:**
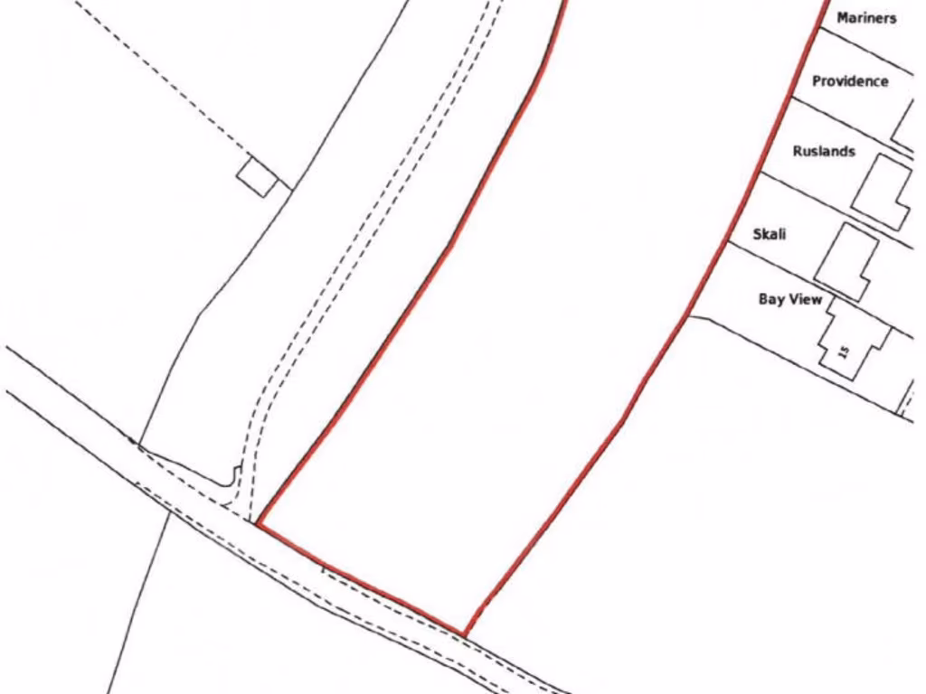
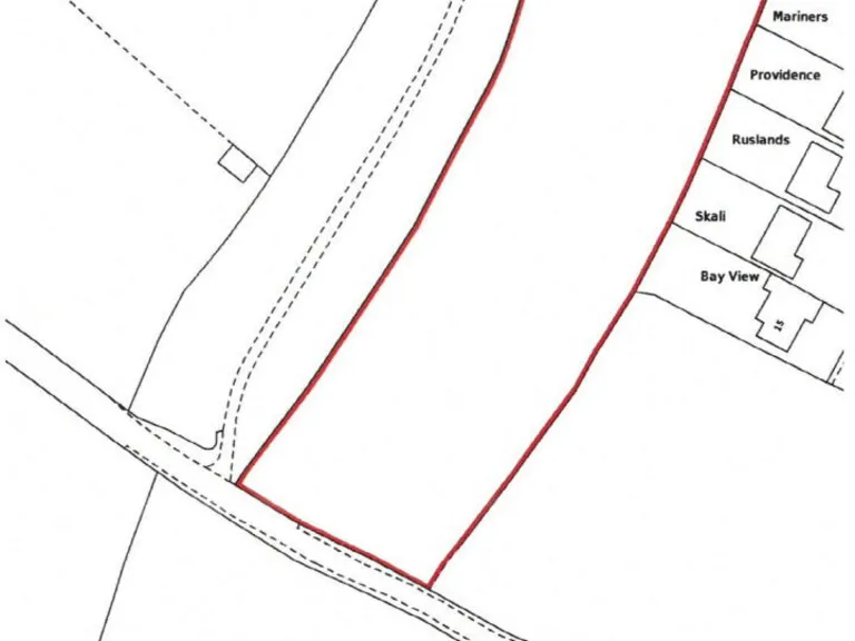
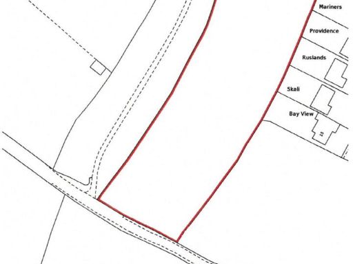
- Approx. 1.94 acres of prime residential development land
- Elevated position with panoramic views over Morecambe Bay
- Allocated for development in the 2013 South Lakeland Land Allocation Development Plan
- Located in the affluent and peaceful Grange-over-Sands area
- Proximity to desirable amenities and schools, all within walking distance
**Summary:**
Discover an exceptional opportunity to own approximately 1.94 acres of residential development land on Cartmel Road, Grange-over-Sands. This prime plot, set in an elevated position, boasts breathtaking, unobstructed views over Morecambe Bay, offering a serene canvas for creating your dream home or investment property.
The site is part of the 2013 South Lakeland Land Allocation Development Plan, ensuring that your development ambitions are backed by a solid framework. Enjoy the benefits of a highly desirable location, just a short walk from the town center, with charming boutique shops, cafés, and well-regarded schools nearby, catering to families and first-time buyers alike.
While the expansive size of the land presents fantastic potential for development, be mindful that planning and construction requirements will need careful consideration. With very low local crime rates and a peaceful community atmosphere, this land is not just a place to build, but a place to create a lifestyle. Opportunities like this don’t last long—secure your future in this stunning location today!
Land for sale in Kirk Hey Kirkhead Road, Grange-Over-Sands, LA11 — £140,000 • 2 bed • 2 bath
Land for sale in Ulverston Road, Swarthmoor, Ulverston, LA12 — £300,000 • 1 bed • 1 bath
Land for sale in Ulverston Road, Swarthmoor, Ulverston, LA12 — £140,000 • 1 bed • 1 bath
Land for sale in Residential Site, Manorside, Flookburgh, Grange Over Sands, Cumbria, LA11 7HY, LA11 — £1,250,000 • 1 bed • 1 bath
Land for sale in Ulverston Road, Swarthmoor, Ulverston, LA12 — £180,000 • 1 bed • 1 bath
Land for sale in Devonshire Road, Millom, LA18 — £1,000,000 • 1 bed • 1 bath






















