Build a bespoke 4–5 bedroom Sussex home with panoramic Downs views.
Full planning permission granted (Ref: WD/2024/2931/F)
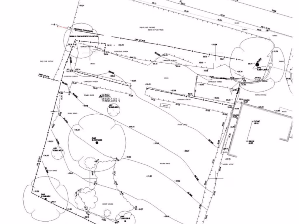
A rare one-third acre freehold plot with full planning permission to build a 4–5 bedroom Sussex-style house, set on Windmill Hill with wide uninterrupted views to the South Downs. The approved two-storey design includes private access, garaging, parking and landscaped gardens, offering a ready framework for a high-quality family home in a semi-rural setting.
This site will suit buyers looking to commission a bespoke countryside residence rather than move-in-ready accommodation. The plans show flexible accommodation — ground-floor bedroom, study/home office and open-plan kitchen/dining — useful for multigenerational living or home working. Herstmonceux village amenities and a Good-rated primary school are nearby, while Hailsham and Eastbourne provide broader services and transport links.
Practical considerations are straightforward: the plot is freehold with no flood risk and low local crime, but the purchaser must complete the build and associated costs. Telecommunications are modest (slow broadband, average mobile signal), and the location is semi-rural rather than urban, which affects day-to-day convenience. For those seeking commanding countryside views and control over design, this is a strong, near-ready development opportunity.
Land for sale in Wheel House, Cottage Lane, Westfield, TN35 — £750,000 • 1 bed • 1 bath • 24394 ft²
Plot for sale in Whatlington Road, Battle, TN33 — £400,000 • 1 bed • 1 bath • 2680 ft²
Land for sale in Lower Dicker, Hailsham, BN27 — £750,000 • 1 bed • 1 bath
Plot for sale in Single Plot at Swife Lane, TN21 — £850,000 • 4 bed • 1 bath • 3628 ft²
4 bedroom detached house for sale in The Meadows, Framfield Road, TN22 — £495,000 • 4 bed • 2 bath
Plot for sale in Heathfield Road, Five Ashes, Mayfield, TN20 — £350,000 • 1 bed • 1 bath • 20038 ft²






















































