S36 2TA - Land for sale in Wood Royd Road, Deepcar, Sheffield, S36

View on Property Piper

Land for sale in Wood Royd Road, Deepcar, Sheffield, S36

Summary - Wood Royd Road, Deepcar, Sheffield S36 2TA

1 bed 1 bath Land

**Standout Features:**
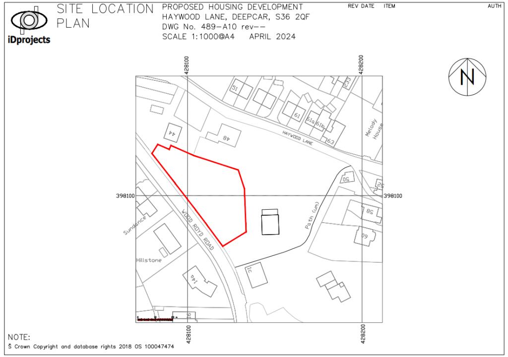
- Outline planning permission granted for two detached 4/5 bedroom houses (Planning reference: 24/02776).
- Generous plot size with significant development potential.
- Located in a desirable residential area of Deepcar, Sheffield.
- Easy access to local amenities including healthcare, transport, schools, and recreational spaces.
- Freehold tenure offers security and flexibility in ownership.

**Summary:**
Nestled in the popular residential area of Deepcar, this expansive freehold plot offers a rare development opportunity with outline planning permission for two spacious 4/5 bedroom detached homes, ideal for self-build enthusiasts and investors alike. Boasting a location rich in amenities—including schools rated 'Good' by Ofsted, convenience stores, and public transport—this sizable plot benefits from both modern connectivity and a community atmosphere.

While the area has some above-average crime rates, it remains a comfortable neighborhood with quick access to essential services, including healthcare and recreational spaces. Given the high demand for housing in this desirable location, the investment potential is substantial. Secure this unique opportunity to craft a luxurious family residence or capitalize on the thriving housing market in Sheffield. Don’t miss out—opportunities like this are rare and will not last long!

Property Details

Image Descriptions

Textual Property Features

Detected Visual Features

Nearby Schools

Nearest Bars And Restaurants

,,,,}

Nearest General Shops

,,}

Nearest Grocery shops

,,}

Nearest Supermarkets

,,}

Nearest Religious buildings

,,}

Nearest Medical buildings

,,,}

Nearest Leisure Facilities

,,,,}

Nearest Tourist attractions

,,}

Nearest Train stations

,,,,}

Nearest Bus stations and stops

,,,,}

Nearest Hotels

,,}

Tags

Local Market Stats

AirBnB Data

Similar Properties

Meta

High Res Images

Compatible Images

Low res Images

Thumbnails

Raw Images