**Standout Features:**
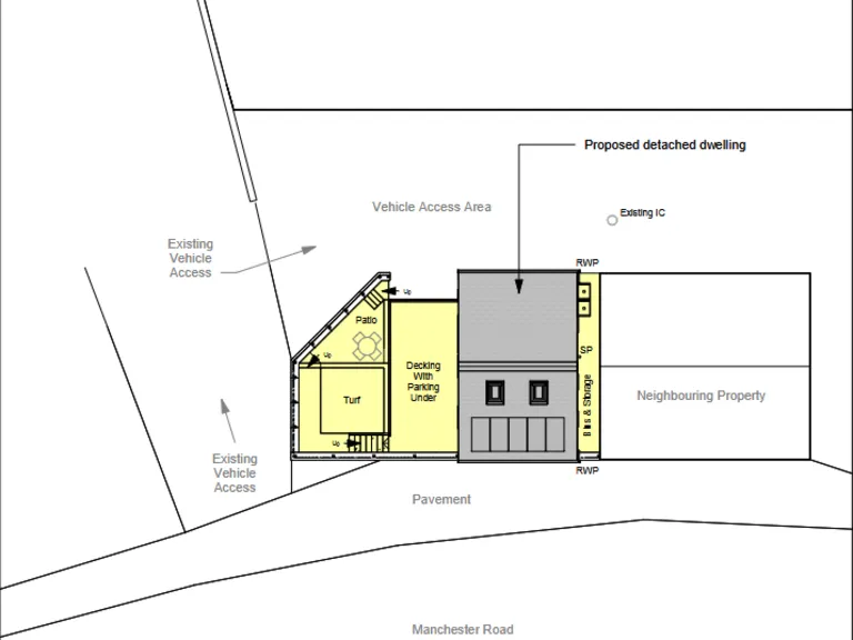
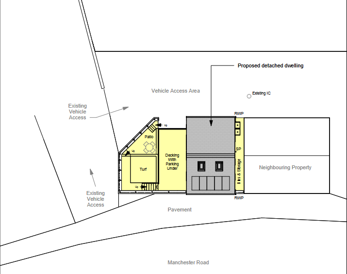
- Planning consent granted for a 3-bedroom, 4-storey detached dwelling (Reference 24/00148/FUL).
- Ideal for speculative developers and self-builders.
- Private off-street parking and garden space.
- Short walk from Stocksbridge’s amenities and services.
- Freehold tenure and chain-free sale.
**Property Summary:**
Discover an exceptional development opportunity perfect for both investors and self-build enthusiasts. This interesting single building plot in Stocksbridge comes with approved planning consent for the demolition of an existing shop and the construction of a modern 3-bedroom, 4-storey detached home. The proposed design includes private garden space and off-street parking, making it an attractive option for families seeking comfort and convenience.
Located just a short stroll from Stocksbridge's diverse range of amenities—such as schools, shops, and recreational facilities—this property combines future potential with a desirable setting. While the plot is compact, the excellent broadband speed and strong mobile signal enhance its appeal for modern living. Additionally, all essential services are readily accessible at the site. Due to the growing interest in urban development, this opportunity won't last long, so seize the chance to create your ideal home in a vibrant community.
Land for sale in Land At Hollin Busk Road, Stocksbridge, Sheffield, S36 — £350,000 • 1 bed • 1 bath • 21344 ft²
3 bedroom detached house for sale in Shay House Lane, Stocksbridge, S36 — £360,000 • 3 bed • 1 bath • 838 ft²
Land for sale in Wood Royd Road, Deepcar, Sheffield, S36 — £260,000 • 1 bed • 1 bath
Land for sale in Springfield Street, Barnsley, South Yorkshire, S70 — £55,000 • 3 bed • 1 bath • 1076 ft²
Land for sale in 139 Ringinglow Road, Sheffield, S11 — £225,000 • 1 bed • 1 bath • 1925 ft²
Plot for sale in Rotherham Road, Barnsley, S71 — £575,000 • 1 bed • 1 bath


























