Turnkey holiday business with room to expand and strong coastal access.
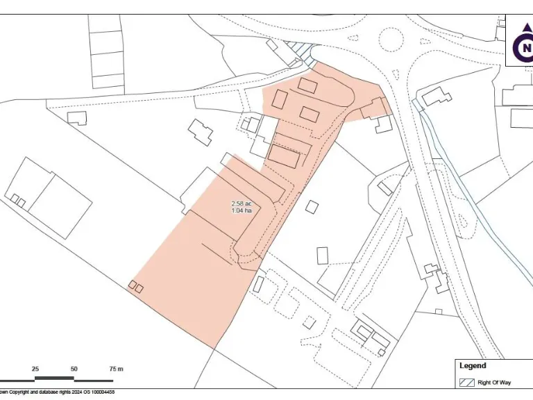
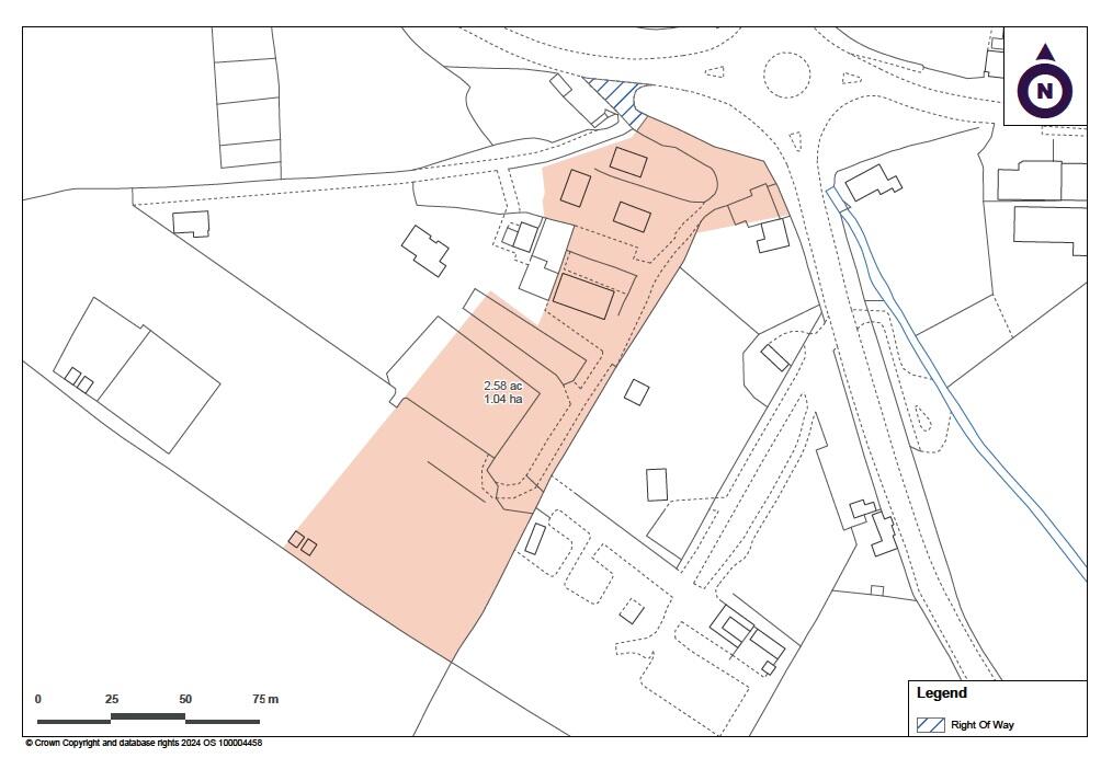
Large 2.58 acre site with private top paddock (approx. 1 acre) and countryside views
Three detached 3‑bed lodges and two 4‑bed semi‑detached holiday cottages
Planning consent for four additional 3‑bed lodges (PA22/08494)
Turnover varied: £61.6k (22/23); £47.3k (24/25); seasonal fluctuation noted
Newly renovated units; inventory and fittings included in sale
Broadband speeds very slow despite excellent mobile signal
Medium flood risk and rural hamlet location; check insurance implications
Currently let exclusively via a third‑party agent; no dedicated website
Set within 2.58 acres of private Cornish countryside, this newly developed lodge complex is established as a holiday lettings business and sold with trade inventory. The site currently comprises three detached three‑bed lodges and two semi‑detached four‑bed cottages, all finished to a high standard and yielding regular bookings through a single agency. The top paddock (approx. 1 acre) benefits from planning consent for four further three‑bed lodges, offering clear expansion potential or alternative uses such as camping/glamping subject to consent.
Trading figures show the business produced turnovers of £59,464 (2021/22) and £61,606 (2022/23), with £31,772 in 2023/24 (limited season) and £47,251 for 2024/25. The business is currently marketed and let exclusively via a third‑party agent and has no dedicated website, so growth could be pursued by expanding marketing and direct booking channels. The sale includes furnishings, equipment, fixtures and fittings relating to the business.
Buyers should note a number of practical considerations: broadband speeds are very slow despite excellent mobile signal; the site has a medium flooding risk; and the wider area scores as deprived. The property is well served by road links to the A3058 and A30 and sits equidistant from north and south coasts, giving strong leisure appeal. Trading information is available to bona fide purchasers.
This opportunity suits an investor or operator looking for a turn‑key holiday business with planning to scale. The combination of completed lodges, converted cottages, significant land and consented plots presents a clear route to increase bedstock and income, subject to operational improvements and marketing investment.
 Land for sale in Brighton Cross, Truro, Cornwall, TR2 — £999,950 • 1 bed • 1 bath
 Land for sale in Brighton Cross, Truro, Cornwall, TR2 — £999,950 • 1 bed • 1 bath Commercial development for sale in Trecombe Lakes Accommodation, Mawnan Smith, Falmouth, TR11 — £1,795,000 • 1 bed • 1 bath
 Commercial development for sale in Trecombe Lakes Accommodation, Mawnan Smith, Falmouth, TR11 — £1,795,000 • 1 bed • 1 bath 20 bedroom detached house for sale in Two Waters Foot, Liskeard, Cornwall, PL14 — £1,750,000 • 20 bed • 3 bath • 2398 ft²
 20 bedroom detached house for sale in Two Waters Foot, Liskeard, Cornwall, PL14 — £1,750,000 • 20 bed • 3 bath • 2398 ft² 19 bedroom detached house for sale in Trenewan, Looe, Cornwall, PL13 — £1,350,000 • 19 bed • 11 bath • 4800 ft²
 19 bedroom detached house for sale in Trenewan, Looe, Cornwall, PL13 — £1,350,000 • 19 bed • 11 bath • 4800 ft² Detached house for sale in Two Waters Foot, Nr St Neot, Liskeard, Cornwall, PL14 — £950,000 • 1 bed • 1 bath • 2916 ft²
 Detached house for sale in Two Waters Foot, Nr St Neot, Liskeard, Cornwall, PL14 — £950,000 • 1 bed • 1 bath • 2916 ft² 4 bedroom detached house for sale in Treveighan, St. Teath, Bodmin, Cornwall, PL30 — £1,250,000 • 4 bed • 2 bath • 6681 ft²
 4 bedroom detached house for sale in Treveighan, St. Teath, Bodmin, Cornwall, PL30 — £1,250,000 • 4 bed • 2 bath • 6681 ft²














































































































