**Standout Features:**
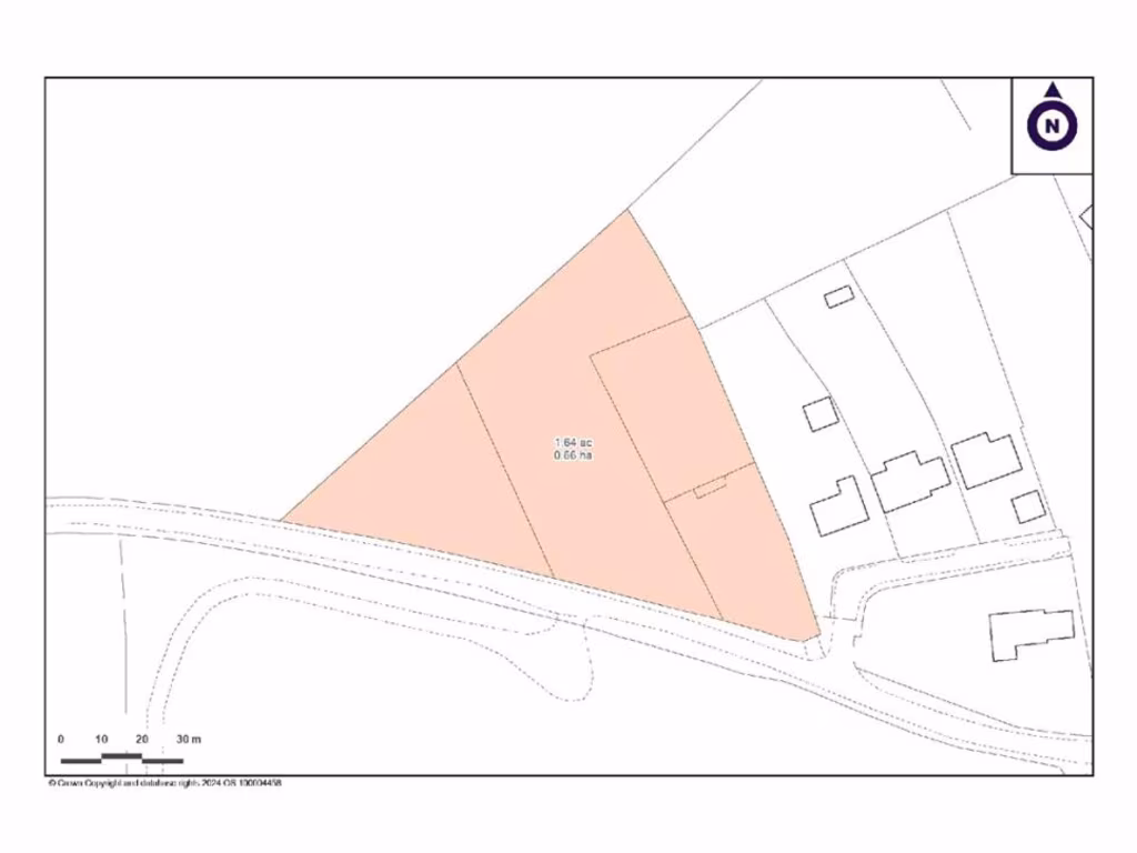
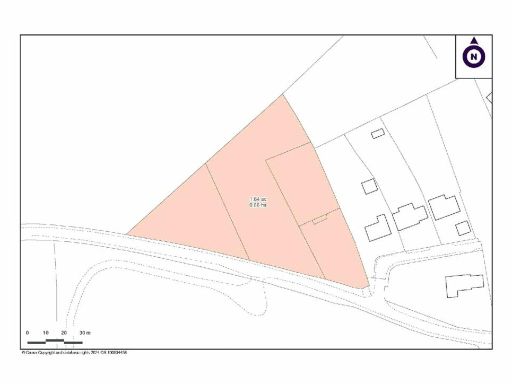
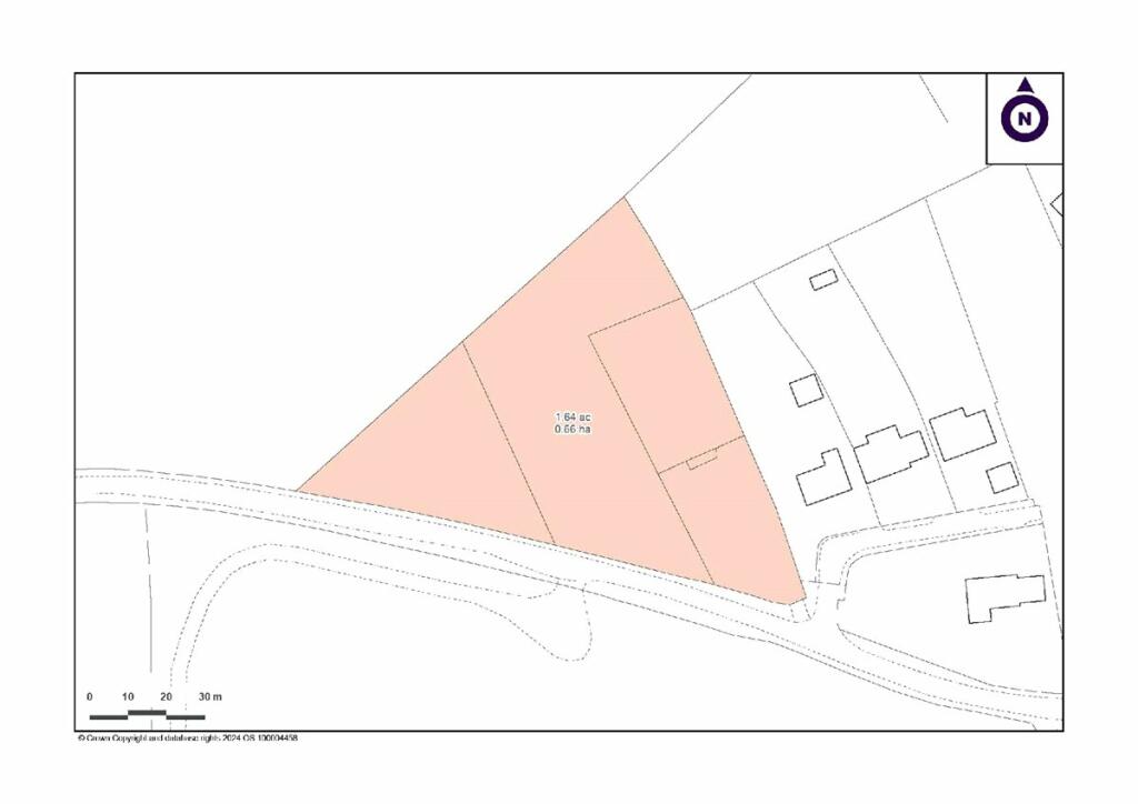
- Prime plot of land in Bishop Monkton, just 4 miles from Ripon and 8 miles from Harrogate.
- A generous 1.63 acres (0.66 hectares) designated for equestrian use, including an all-weather arena (25m x 40m).
- Beautifully bordered by mature trees and post and rail fencing, ensuring privacy and a serene atmosphere.
- Flat terrain suitable for various developments with excellent mobile signal.
- Low crime rates and high affluence in the surrounding area promote a peaceful living environment.
**Summary:**
Discover the potential of rural living with this expansive plot of land in the desirable village of Bishop Monkton. Spanning 1.63 acres, the property is ideal for equestrian enthusiasts and offers an impressive all-weather arena alongside turnout paddocks, all within a stunning pastoral setting. Enclosed by charming rustic fencing and greenery, the land offers privacy and tranquility with picturesque views of the surrounding countryside. Located just a short distance from Ripon and Harrogate, this property is well-positioned for those seeking a blend of rural charm and accessibility.
While the property is located outside the Conservation Area, it benefits from recent residential development nearby, hinting at potential future growth. With its level topography and Grade 2 agricultural classification, the land is versatile enough for various uses, ensuring lasting value for investors or families looking to cultivate their dream home or retreat. Don’t miss out on this unique opportunity – envision your future here!
Office for sale in Bishop Thornton, Harrogate, North Yorkshire, HG3 — £1,300,000 • 1 bed • 1 bath • 20000 ft²
Land for sale in Off Main Street, Wath, Ripon, HG4 — £170,000 • 1 bed • 1 bath
Land for sale in Off Main Street, Wath, Ripon, HG4 — £110,000 • 1 bed • 1 bath
Land for sale in Off Main Street, Wath, Ripon, HG4 — £280,000 • 1 bed • 1 bath
Land for sale in Bishop Thornton, Harrogate, North Yorkshire, HG3 — £1,300,000 • 1 bed • 1 bath • 20877 ft²
4 bedroom country house for sale in Reevylands, Hungate, Bishop Monkton, HG3 — £1,100,000 • 4 bed • 3 bath • 2693 ft²














