NG14 7AB - Land for sale in Brookside, Off Main Street, Lowdham, NG14

View on Property Piper

Land for sale in Brookside, Off Main Street, Lowdham, NG14

Summary - Land & Derelict Building, Brookside, Lowdham, Nottingham, NG14 7AB NG14 7AB

1 bed 1 bath Land

**Standout Features:**
- Guide Price: £80,000 - £100,000
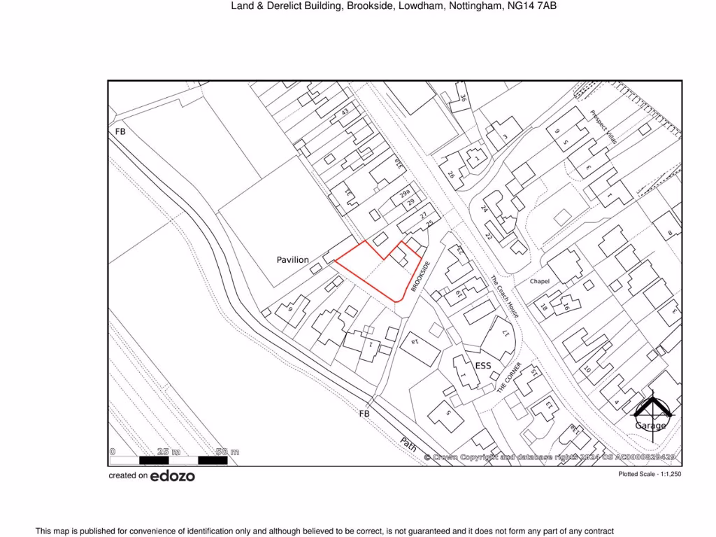
- 0.05 Ha (0.124 Acre) plot with a derelict building
- Current use: Car parking; potential for workshop or office (subject to planning)
- Ideal location within Lowdham Local Centre, close to various amenities
- Public highway access

**Summary:**
This unique property presents a rare investment opportunity in the heart of Lowdham, ideal for developers or those seeking to create a personalized workspace. Spanning over 500 sq. m (1.24 Acre), this flat land offers significant potential for redevelopment, currently housing a structurally unsound derelict building that could be converted into a small workshop or office with appropriate planning permissions.

Positioned within the vibrant Lowdham Local Centre, residents will benefit from nearby amenities, including grocery shops, cafés, healthcare facilities, and excellent transport links. While the site does face some flood risk considerations and lacks mains services, the tranquil rural setting fringed by mature trees provides a private retreat that can be transformed into something remarkable. Act quickly to seize this opportunity for future growth and development—properties with such potential are few and far between!

Property Details

Brochure Descriptions

Image Descriptions

Floorplan Description

Textual Property Features

Detected Visual Features

Nearby Schools

Nearest Bars And Restaurants

,,,,}

Nearest General Shops

,,}

Nearest Grocery shops

,,}

Nearest Supermarkets

,,}

Nearest Religious buildings

,,}

Nearest Medical buildings

,,,}

Nearest Airports

}

Nearest Leisure Facilities

,,,,}

Nearest Tourist attractions

,,}

Nearest Train stations

,,,,}

Nearest Bus stations and stops

,,,,}

Nearest Hotels

,,}

Tags

Local Market Stats

Similar Properties

Meta

High Res Images

Compatible Images

Low res Images

Thumbnails

Raw Images

High Res Floorplan Images

Compatible Floorplan Images

Low res Floorplan Images

FloorplanImages Thumbnail

Raw Floorplan Images