BS15 9RH - Land for sale in Courtney Road, Bristol, BS15

View on Property Piper

Land for sale in Courtney Road, Bristol, BS15

Summary - 50 COURTNEY ROAD KINGSWOOD BRISTOL BS15 9RH

1 bed 1 bath Land

**Standout Features:**
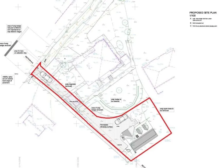
- Building plot with **outline planning consent** for a 3-bedroom detached house (100 m²)
- **Private driveway** and off-street parking
- **Desirable location** in a sought-after, quiet area of Kingswood, BS15 9RH
- Expected **GDV of £550,000** upon completion
- **Chain-free** sale with **8-week completion** timeline
- Good access to local amenities, schools, and transport links

**Summary:**
An exceptional opportunity awaits in Kingswood with this sizeable building plot, now available for auction. The property has outline planning consent to construct a modern 3-bedroom detached house, complete with a private driveway and landscaped gardens. Spanning approximately 100 m², the thoughtfully designed layout includes an entrance hall, living room, kitchen, and a master suite, along with an upstairs landing and two additional double bedrooms.

Set in a tranquil cul-de-sac, this plot is ideal for builders and developers or individuals looking to create their dream family home. The location boasts accessibility to local amenities, highly-rated schools, and convenient transport links, ensuring a family-friendly environment. With a projected market value upon completion of about £550,000, this property presents excellent investment potential. Don't miss this rare chance to secure a prime development opportunity in a thriving residential area—bidding starts soon, so act fast!

Property Details

Brochure Descriptions

Image Descriptions

Floorplan Description

Rooms

Textual Property Features

Detected Visual Features

Nearby Schools

Nearest Bars And Restaurants

,,,,}

Nearest General Shops

,,}

Nearest Grocery shops

,,}

Nearest Supermarkets

,,}

Nearest Religious buildings

,,}

Nearest Medical buildings

,,,}

Nearest Airports

}

Nearest Leisure Facilities

,,,,}

Nearest Tourist attractions

,,}

Nearest Train stations

,,,,}

Nearest Bus stations and stops

,,,,}

Nearest Hotels

,,}

Tags

Local Market Stats

AirBnB Data

Similar Properties

Meta

High Res Images

Compatible Images

Low res Images

Thumbnails

Raw Images

High Res Floorplan Images

Compatible Floorplan Images

Low res Floorplan Images

FloorplanImages Thumbnail

Raw Floorplan Images