Low-cost freehold plot with planning—ideal for builders or investors.
Full planning permission for residential use (PA16/00500)
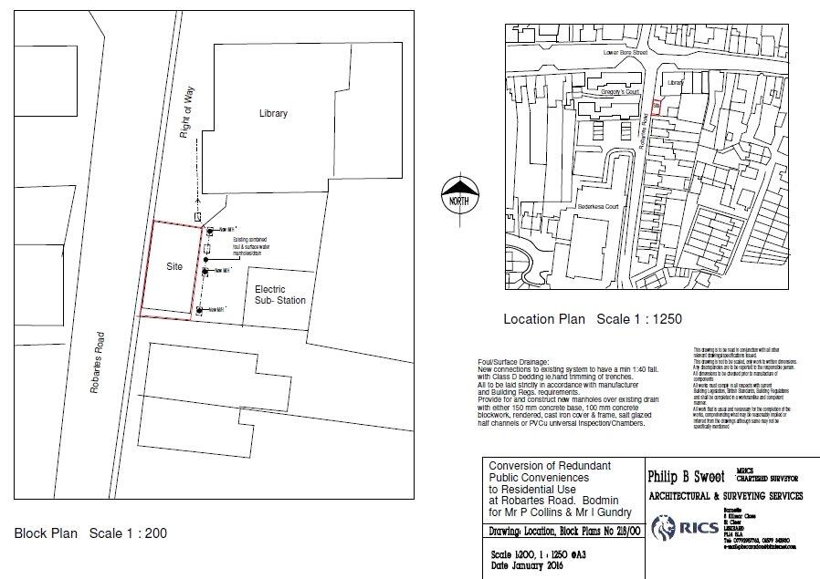
A rare low-cost development plot in central Bodmin with full planning permission for residential conversion (PA16/00500). The former public conveniences and adjoining industrial/Victorian structure provide a ready canvas for a one-bedroom home or rental unit; verification of the approval is available via the Cornwall Planning Portal.
Key positives include freehold tenure, no flood risk and excellent mobile signal. The site is a short walk to Bodmin town centre amenities, schools and public transport, making it suitable for builders, investors or an owner-occupier prepared to complete the conversion.
Important considerations: the building is derelict and needs substantial renovation — boarded windows, likely roof repairs and general modernization are required. Broadband speeds are very slow, the local area records high crime and significant deprivation. The property is offered at auction with a non-refundable reservation fee (4.5% of the purchase price, minimum £6,600) plus a Buyer Information Pack fee of £349; buyers should factor these costs and the 56-day completion requirement into any offer.
This is a value-driven project for someone experienced in conversions or comfortable managing contractors. With planning already in place, the next owner can push the scheme through to completion and add value, but budget and time must be allowed for structural and services work before habitation or letting.
5 bedroom end of terrace house for sale in Berrycoombe Road, Bodmin, Cornwall, PL31 — £170,000 • 5 bed • 3 bath • 1441 ft²
2 bedroom flat for sale in Fore Street, Bodmin, Cornwall, PL31 — £80,000 • 2 bed • 1 bath
2 bedroom semi-detached house for sale in Robartes Road, Bodmin, Cornwall, PL31 — £140,000 • 2 bed • 1 bath
3 bedroom end of terrace house for sale in Burden Close, BODMIN, Cornwall, PL31 — £180,000 • 3 bed • 1 bath • 926 ft²
2 bedroom terraced house for sale in 38 Lower Bore Street, Bodmin, PL31 — £160,000 • 2 bed • 1 bath
Residential development for sale in Beacon Road, Bodmin, South West, PL31 — POA • 1 bed • 1 bath










































