**Standout Features:**
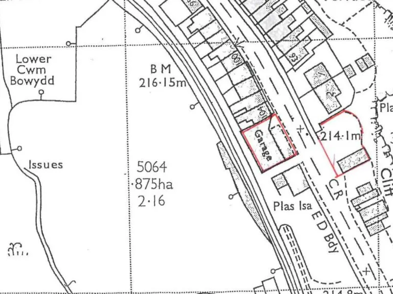
- Plot of land adjacent to Moelwyn Motors in Blaenau Ffestiniog
- Planning permission approved for two detached three-storey homes with garages
- Set in a picturesque area with views of North Wales’ rugged landscapes
- Freehold tenure
- Low local crime rate, providing a sense of security
- Potential for modern family living spaces
**Potential Concerns:**
- Small plot size may limit landscaping or outdoor space
- Located in a socioeconomically deprived area
This is a fantastic opportunity to secure a freehold building plot at Land Adjacent to Moelwyn Motors in Blaenau Ffestiniog, LL41 3AJ, with planning permission for two modern, three-storey detached homes, each featuring an integrated garage. The development offers great potential for capital growth and is designed with efficient layouts ideal for contemporary family living.
Nestled in a scenic location, the plot is surrounded by the dramatic landscapes of North Wales, providing both tranquility and accessibility to local amenities—such as a post box and various shops—within walking and cycling distance. Although the plot size is modest, it offers an exciting canvas for development in an industrious area with low crime rates, making it an ideal investment for families or investors looking to build unique residences in an emerging community. Don’t miss this rare chance to realize your vision in this desirable location!
Plot for sale in Llan Ffestiniog, Blaenau Ffestiniog, LL41 — £49,950 • 1 bed • 1 bath
Land for sale in High Street, Blaenau Ffestiniog, Gwynedd, LL41 — £99,000 • 1 bed • 1 bath • 357 ft²
Land for sale in Former Garage Site, Sun Street, Llanffestiniog, LL41 — £190,000 • 1 bed • 1 bath
Land for sale in Former Garage Site, Sun Street, Llanffestiniog, LL41 — £190,000 • 1 bed • 1 bath
Land for sale in Ffordd Manod, Blaenau Ffestiniog, Manod Road, Blaenau Ffestiniog, LL41 — £70,000 • 1 bed • 1 bath
Plot for sale in High Street, Blaenau Ffestiniog, Gwynedd, LL41 — £99,000 • 1 bed • 1 bath






















