**Standout Features:**
- **Location:** Centrally positioned on High Street, Blaenau Ffestiniog, a historic mining town.
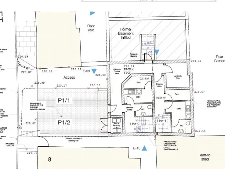
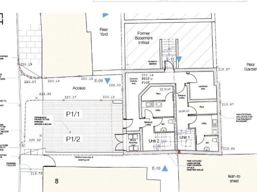
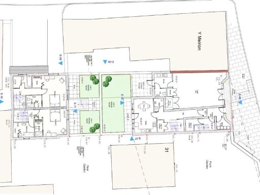
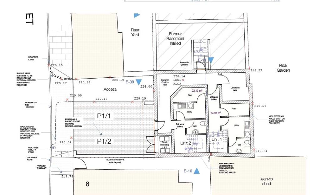
- **Planning Permission:** Approved for demolition and construction of a mixed-use premises (App No: C21/0922/03/LL).
- **Development Potential:** Plans include a retail unit, two 1-bedroom townhouses, a 2-bedroom apartment, and a 1-bedroom maisonette.
- **Amenities:** Surrounded by various local amenities including pubs, restaurants, healthcare, and leisure facilities.
- **Mobile Signal & Broadband:** Excellent mobile signal and fast broadband speeds.
- **Price:** Listed for auction at £99,000 with freehold tenure.
**Summary:**
This substantial redevelopment site on High Street in Blaenau Ffestiniog offers an exciting opportunity for investors or developers looking to capitalize on an emerging area. With planning permission granted for a transformative mixed-use property that features diverse residential options alongside a retail unit, the possibilities are ripe for those seeking to make their mark in an historically rich and tourist-friendly locale.
Positioned within a small town with low crime rates, this site promises a blend of community engagement and growth amid the backdrop of the recently recognized Unesco Heritage Site. While the plot requires renovation and development, the surrounding amenities—including local shops, restaurants, and recreational facilities—ensure the potential for high occupancy rates once completed, making it both an attractive investment and a functional community space.
Given the current dynamics of local real estate and the potential for this prime location, this auction opportunity of £99,000 won't last long! Embrace the chance to shape the future of Blaenau Ffestiniog—plans are available for viewing upon request.
Land for sale in High Street, Blaenau Ffestiniog, Gwynedd, LL41 — £99,000 • 1 bed • 1 bath • 357 ft²
3 bedroom terraced house for sale in Newborough Street, BLAENAU FFESTINIOG, Gwynedd, LL41 — £100,000 • 3 bed • 1 bath • 791 ft²
2 bedroom end of terrace house for sale in Pengelli Terrace, BLAENAU FFESTINIOG, Gwynedd, LL41 — £90,000 • 2 bed • 1 bath • 941 ft²
Land for sale in Land Adjacent Moelwyn Motors, High Street, Blaenau Ffestiniog, LL41 — £95,000 • 1 bed • 1 bath
Land for sale in Former Garage Site, Sun Street, Llanffestiniog, LL41 — £190,000 • 1 bed • 1 bath
Land for sale in Cae Rails, Tyddyn Gwyn, Manod, Blaenau Ffestiniog, Gwynedd LL41 4AL, LL41 — £50,000 • 1 bed • 1 bath














































