Ready-to-build rural development with planning for two contemporary homes.
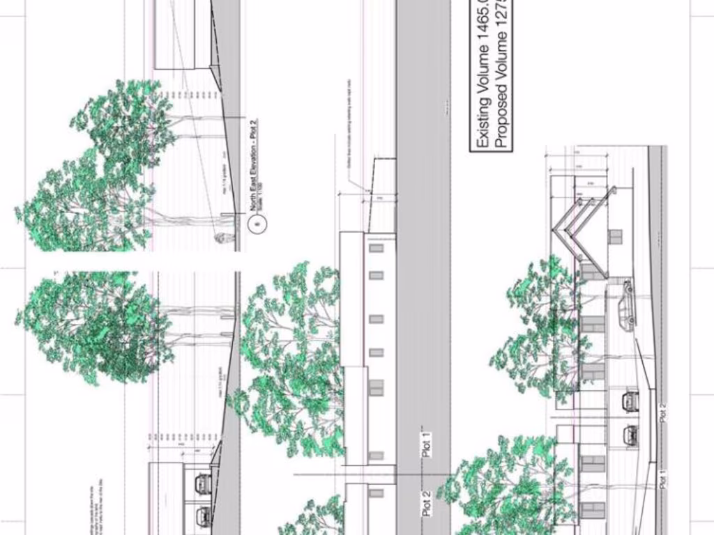
- Full planning permission for two detached bungalows (Ref. 24/01395/FUL)
- Site extends to approximately 1 acre (sts)
- Each dwelling c.168 m2 (about 1,800 ft2) with double garage
- Freehold title, no flood risk, low local crime
- Excellent mobile signal; broadband speeds slow
- Services not guaranteed — buyers must confirm availability
- Sale subject to existing rights, easements and wayleaves
- Community Infrastructure Levy (CIL) may be chargeable
A rare development opportunity on approximately 1 acre in Bulcote with full planning permission (Ref. 24/01395/FUL) to demolish existing buildings and build two contemporary detached self-build bungalows. Each proposed bungalow is c.168 m2 (approx. 1,800 ft2) with hall, lounge, dining kitchen, utility, three bedrooms, family bathroom and double garage — a straightforward scheme aimed at small developers or self-builders.
The site is freehold, in a very affluent, low-crime rural hamlet setting with excellent mobile reception and attractive countryside views. The planning consent is recent (13 Feb 2025) and the layout drawings show a private, modern development with garages, driveways and landscaping already considered.
Buyers should note a few practical points: services availability must be confirmed with providers, Community Infrastructure Levy (CIL) may be payable, and the land will be sold subject to any existing rights, easements and wayleaves. Broadband speeds are recorded as slow and the location is relatively isolated, which may affect some occupiers.
This site suits a small developer, investor or self-builder looking for a ready-to-deliver rural project with planning in place. Review the full planning documents and undertake technical due diligence early to confirm service connections, CIL exposure and any site preparation costs.
Plot for sale in Holly Court, Rolleston, Nottinghamshire, NG23 — £410,000 • 1 bed • 1 bath
Land for sale in Bleasby Road, Goverton, Nottingham, NG14 — £750,000 • 1 bed • 1 bath • 5207 ft²
Plot for sale in Goverton, Bleasby, Nottinghamshire, NG14 — £450,000 • 1 bed • 1 bath • 4204 ft²
Plot for sale in Goverton, Bleasby, Nottinghamshire, NG14 — £450,000 • 1 bed • 1 bath • 3336 ft²
Plot for sale in Fosse Road, Farndon, Newark, NG24 — £200,000 • 1 bed • 1 bath • 2250 ft²
Land for sale in Derby Road, Risley, Derby, DE72 — £250,000 • 4 bed • 2 bath • 658 ft²






































