Elevated plot with access planning and strong transport links for developers.
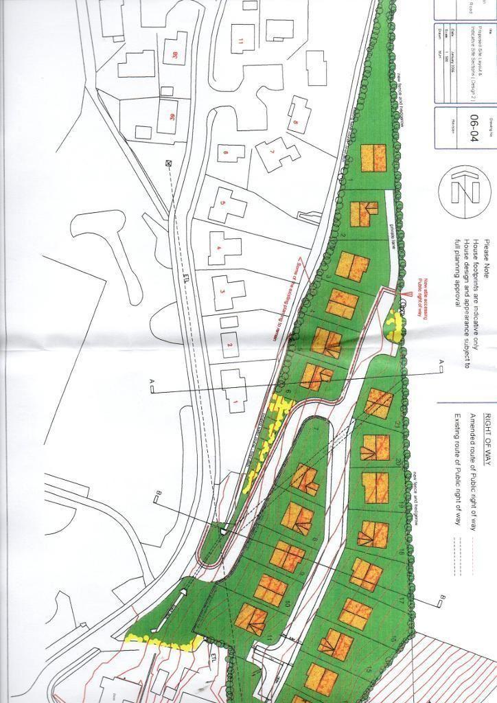
Freehold development site with outline consent for 21 detached dwellings
A substantial freehold development plot with outline planning for 21 detached dwellings (Planning Ref C/2009/0394), offered for sale by auction. The site sits elevated with wide valley and countryside views and has full planning for an access road. It benefits from fast broadband, excellent mobile signal and road/rail links to the A470 and Cardiff — practical positives for modern housing schemes.
The planning consent is outline only; conversion to full housing development will require detailed applications and construction approvals. The information supplied includes two different area statements (1.7 acres and approximately 4 acres/1.7 hectares). Buyers should verify the exact legal extent and boundaries prior to bidding. The vendor’s agents note they have not inspected the site.
Important constraints: the site lies within a very deprived local area, will be sold at auction with standard auction terms, and further capacity above 21 dwellings is described as possible only subject to planning (STPP). Prospective purchasers should carry out their own due diligence on ground conditions, services connection, and local planning policy before purchase.
This opportunity will suit developers or investor-builders seeking a greenfield site with existing outline consent and strong transport links. The combination of elevated views, existing access planning and potential for increased unit numbers (subject to permissions) creates clear upside, but it is a project requiring planning follow‑through, site investigation and sensitivity to the local context.
Land for sale in Pant Y Forest, Ebbw Vale, Blaenau Gwent, NP23 5FR, NP23 — £425,000 • 1 bed • 1 bath
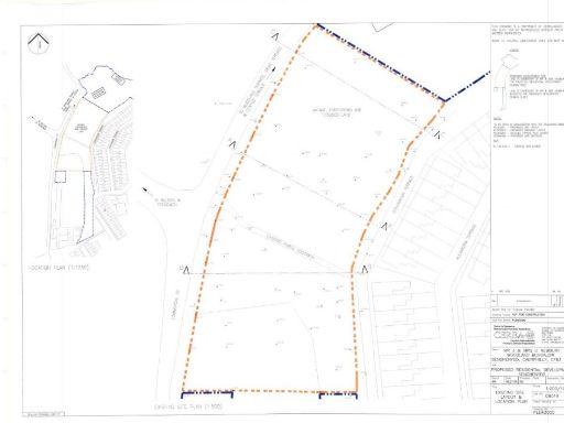
Plot for sale in Residential Development at Slip Road, Merthyr Tydfil, CF48 — £300,000 • 5 bed • 1 bath
Land for sale in Land adjacent to, 6-8 Brynmair Road, Aberdare, Mid Glamorgan, CF44 6LR, CF44 — £90,000 • 1 bed • 1 bath • 6465 ft²
Land for sale in East Road, Tylorstown, Ferndale, CF43 — £60,000 • 1 bed • 1 bath
Land for sale in Glan Gwrelych And Ynys Y Nos Avenue, Glynneath, Neath, SA11 — £170,000 • 1 bed • 1 bath
Land for sale in Land at Coronation Terrace, Senghenydd, Caerphilly, CF83 4HQ, CF83 — £99,000 • 1 bed • 1 bath


















































