**Standout Features:**
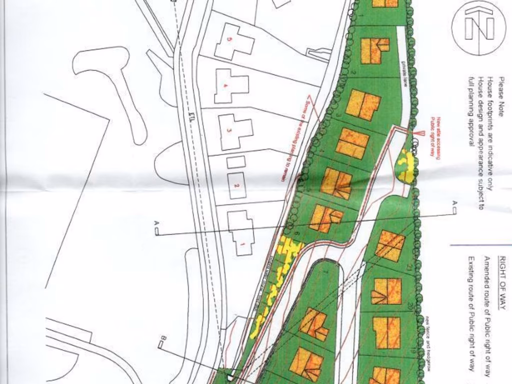
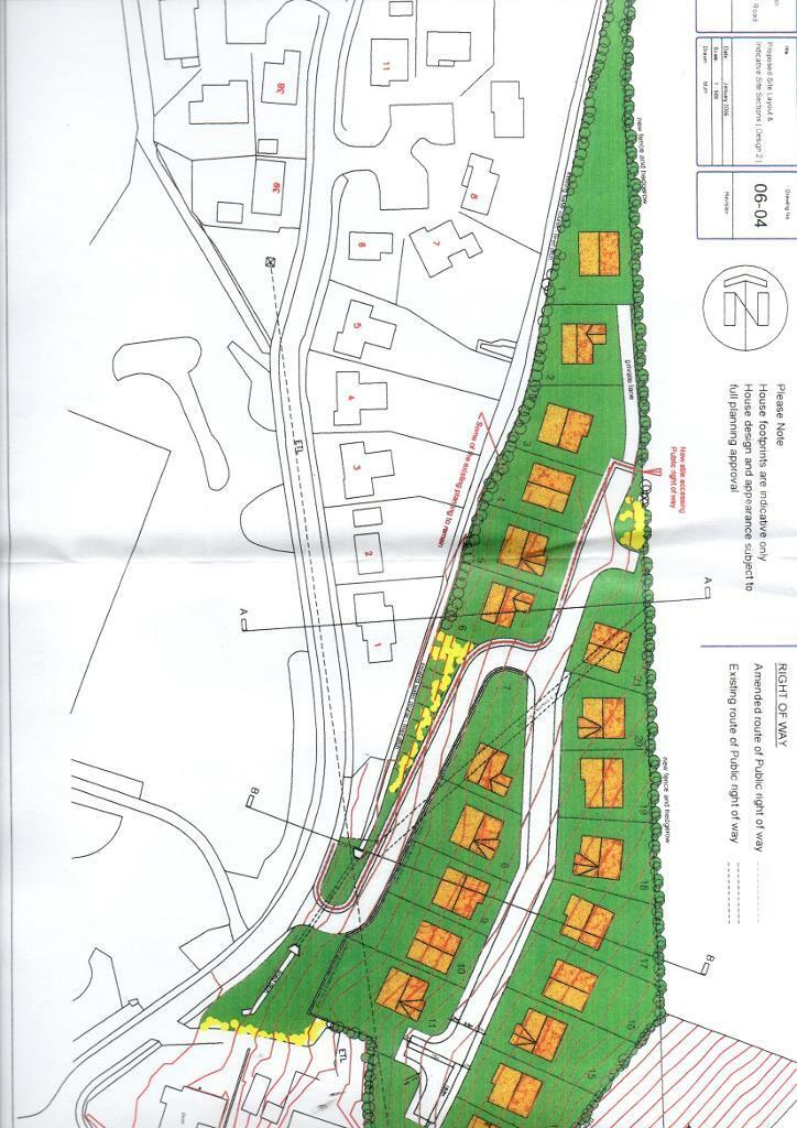
- Development opportunity for 21 residential properties
- Full outline planning permission in place (C/2009/0394)
- Spacious plot of approximately 4 acres (1.7 hectares)
- Fantastic elevated views across Ebbw Vale and the surrounding countryside
- Close proximity to Ebbw Vale Town Centre and existing executive properties
- Freehold tenure with potential for further development subject to planning approval
- Excellent mobile signal and fast broadband speeds
**Summary:**
This is an incredible opportunity for developers to acquire a prime site in Ebbw Vale, currently offering planning permission for 21 detached dwellings. Set on a generous 4-acre plot, the site boasts stunning views of the valleys, is nestled near executive properties, and is just a stone's throw from the bustling town center. With the potential to expand the number of homes by applying for additional planning, this land is ripe with potential.
Sold by online auction with a starting bid of £425,000, this freehold property presents an attractive investment in a growing area with ongoing demand. Although the surrounding streets feature average crime rates—assuring peace of mind—the site's elevated position provides an exclusive sense of privacy and security. Don’t miss this chance to capitalize on a valuable asset in a location primed for new development—opportunities like this are few and far between!
Land for sale in Pant-y-Fforest, Ebbw Vale, Blaenau Gwent, NP23 5FR, NP23 — £425,000 • 1 bed • 1 bath
Land for sale in Land adjacent to, 6-8 Brynmair Road, Aberdare, Mid Glamorgan, CF44 6LR, CF44 — £90,000 • 1 bed • 1 bath
Land for sale in East Road, Tylorstown, Ferndale, CF43 — £60,000 • 1 bed • 1 bath
Property for sale in 1 Dan-Y-Graig, Aberbeeg, NP13 — £70,000 • 1 bed • 1 bath
Land for sale in Commercial Street, Aberbeeg, NP13 — £125,000 • 1 bed • 1 bath • 4500 ft²
Land for sale in Land at Coronation Terrace, Senghenydd, Caerphilly, CF83 4HQ, CF83 — £99,000 • 1 bed • 1 bath


































