**Key Features:**
- Approx. 0.31 acres of freehold vacant land
- Total size: 13,503 square feet
- Potential for development in a suburban residential area
- Close proximity to schools rated Good or Outstanding
- Access to fast broadband
**Concerns:**
- Located in an area with very high crime rates
- Surrounding area classified as deprived, which may affect investment appeal
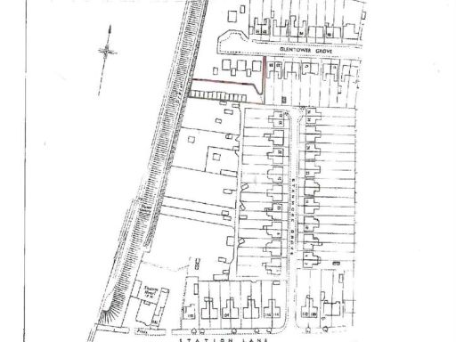
Seize this rare opportunity to acquire a substantial plot of land, measuring approximately 0.31 acres, in Hartlepool's Brougham Terrace—ideal for development and investment. With a generous size of 13,503 square feet, the property offers the potential to build residential units in a suburban setting characterized by a mix of Victorian and Post-War homes.
The site is conveniently located near several reputable schools, including Dyke House Sports and Technology College with an Outstanding Ofsted rating, making it attractive for families looking to settle in the area. However, please note that the property is situated in a neighborhood struggling with high crime rates and overall deprivation, which could impact your investment’s long-term value.
The land provides ample space for creativity, whether for future renovations or building new structures, making it a blank canvas for the right buyer. Don’t miss this unique chance to invest in a developing area—act quickly, as opportunities like this in suburban Hartlepool rarely last long!
Land for sale in Stanmore Grove, Hartlepool, TS25 — £60,000 • 1 bed • 1 bath
Land for sale in Salters Lane, Trimdon Grange, Trimdon Station, TS29 — £200,000 • 1 bed • 1 bath • 20807 ft²
Land for sale in Manor Park, Hart Village, TS27 — £180,000 • 1 bed • 1 bath • 4661 ft²
Land for sale in Land at Ainstable Road, Ormesby, Middlesbrough, TS7 — £1,000,000 • 1 bed • 1 bath
Land for sale in Bede Street, Peterlee, Durham, SR8 3RT, SR8 — £140,000 • 1 bed • 1 bath
Land for sale in Land For Sale, Graythorp Industrial Estate, Hartlepool TS25 2DF, TS25 — £1,400,000 • 1 bed • 1 bath


















