**Standout Features:**
- Price reduced from £70,000 to offers over £60,000
- Immediate availability
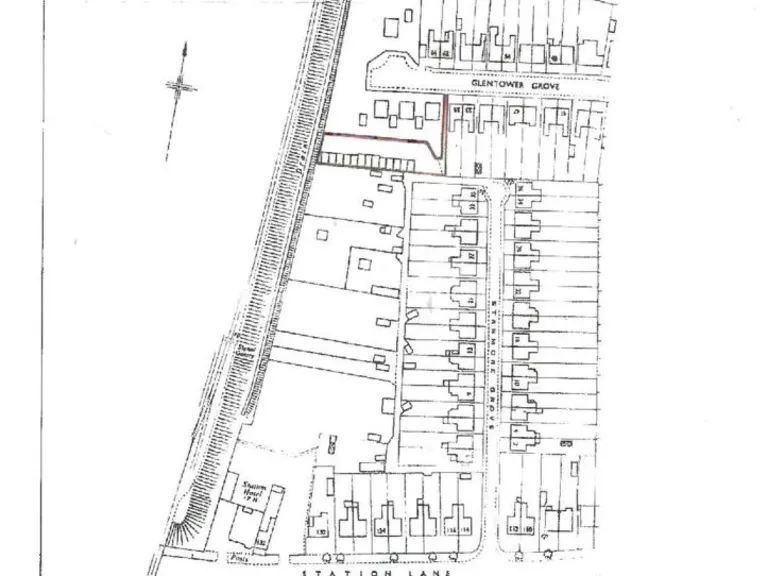
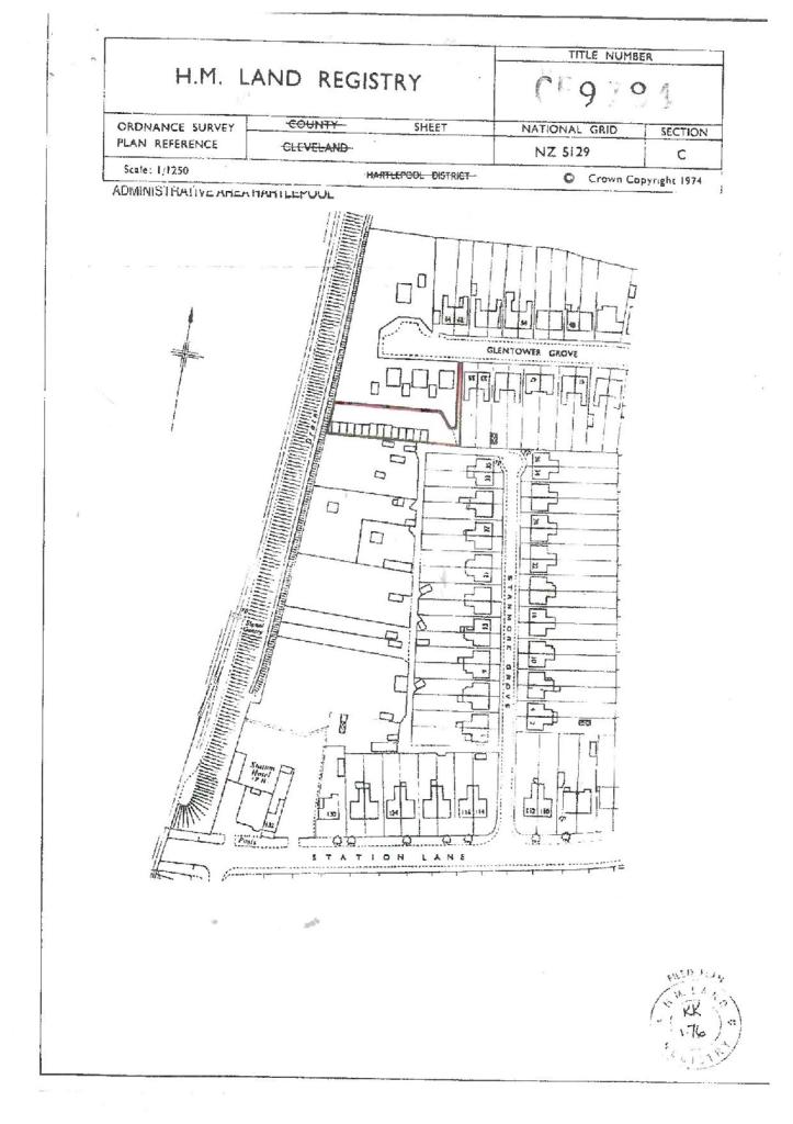
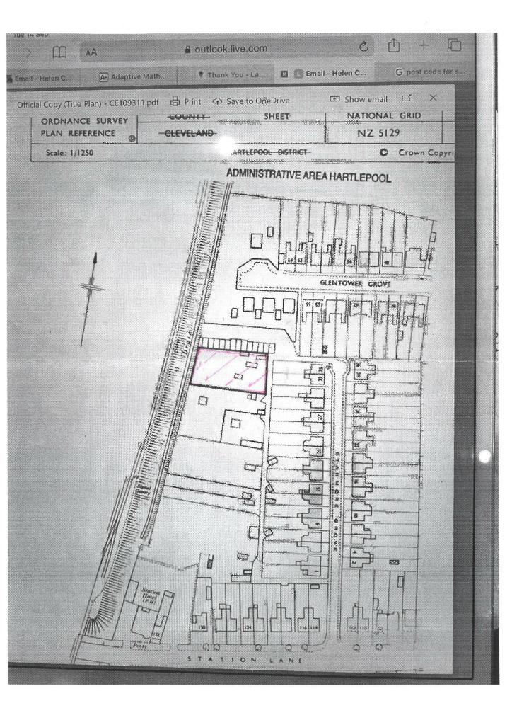
- Generous plot of freehold land at the end of Stanmore Grove
- Planning permission required, allowing for future development potential
- Located within a suburban residential area with average crime rates
- Close proximity to good-rated schools and local amenities
**Summary:**
This is a rare opportunity to acquire a generous freehold land parcel situated at the end of Stanmore Grove in Hartlepool, available immediately for offers over £60,000. The plot presents significant potential for future development, though prospective buyers should note that planning permission is required and it is their responsibility to conduct inquiries regarding this.
Set within a peaceful suburban neighborhood, this land offers a blank canvas for residential construction, providing both privacy and accessibility. Nearby amenities, including retail options and excellent schools rated ‘Good’ by Ofsted, enhance the appeal for families or investors looking for rental potential. Don’t miss out on this promising piece of land with significant upside—get in touch today to explore the possibilities!
Land for sale in Brougham Terrace, Hartlepool, TS24 8, TS24 — £95,000 • 1 bed • 1 bath • 13503 ft²
Land for sale in Land at Ainstable Road, Ormesby, Middlesbrough, TS7 — £1,000,000 • 1 bed • 1 bath
Land for sale in Blenheim Close, Marske-by-the-sea, Redcar, TS11 — £210,000 • 1 bed • 1 bath • 19166 ft²
Land for sale in Westerby Road, Middlesbrough, North Yorkshire, TS3 — £50,000 • 1 bed • 1 bath • 5663 ft²
Property for sale in Hartlepool, Hart, TS27 — £1,000,000 • 1 bed • 1 bath
Land for sale in Manor Park, Hart Village, TS27 — £180,000 • 1 bed • 1 bath • 4661 ft²






