Large freehold plots with planning in a scenic, family-friendly Highland town.
Full planning permission for houses and garages on every plot
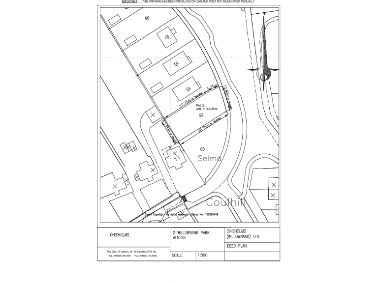
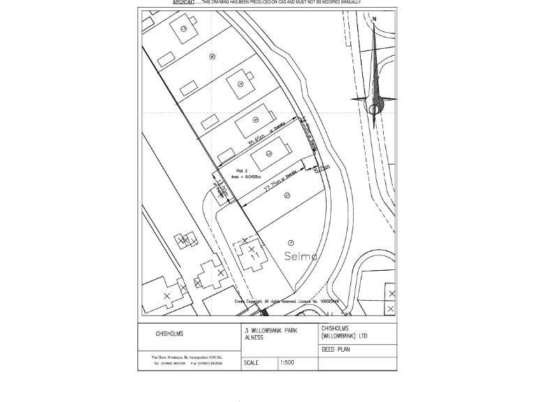
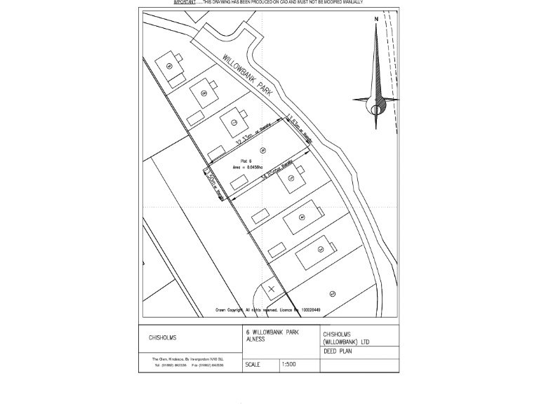
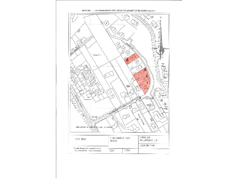
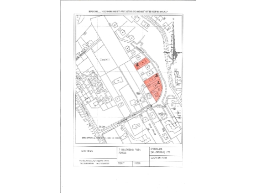
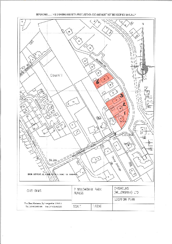
Four freehold building plots in quiet Willowbank Park, Alness, each with full planning permission for a house and garage. The plots back onto mature trees and open countryside, offering privacy and attractive views in an award-winning town on the Cromarty Firth, popular with visitors to the NC500. Local shops, schools and leisure facilities are nearby; Inverness is about 23 miles away with regular rail and bus links.
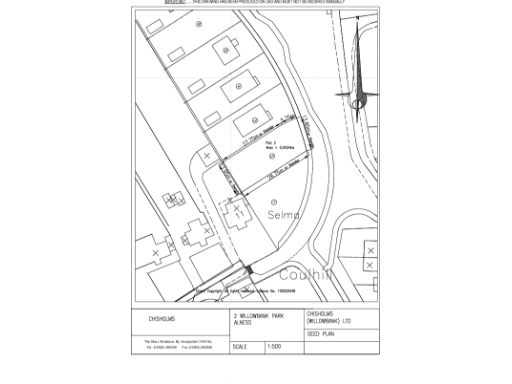
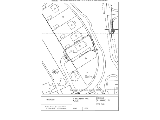
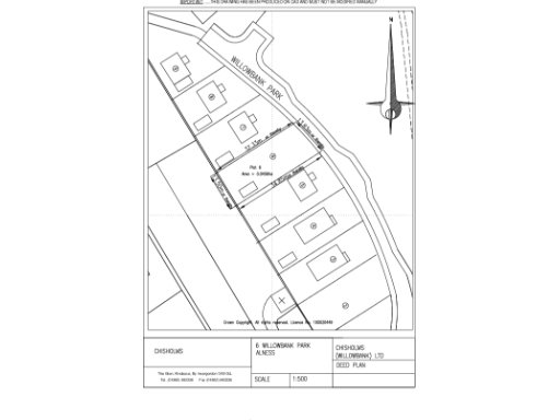
Each plot already benefits from planning consent: Plots 1 & 2 for 1.5-storey three-bed homes and garages; Plot 3 has detailed planning and is partially constructed to damp-proof level with services laid; Plot 6 has permission for a single-storey house and a largely finished garage building with WC and mains connections to that garage. Water, electricity and sewer connections are present on site for most plots, though supply contracts and final connections vary by plot and will need to be confirmed and completed by purchasers.
These plots suit private builders, small developers or buyers looking to commission a new-build home close to outdoor amenities such as golf, fishing and walking. The sizeable plot footprints give scope for gardens and single garages; Plot 3 may save on groundwork because services are already laid. Buyers should allow budget for completion works, utility connection fees and standard building costs.
Material considerations: the wider area records higher levels of deprivation and broadband speeds are average — factors that influence rental demand and resale in this market. Prospective purchasers should satisfy themselves about service connections, confirm current planning details and costs to complete the build works on Plot 3 and any outstanding finish to the garage on Plot 6 before committing.
Plot for sale in Plot at Muiryden Farm, Fortrose, IV10 — £85,000 • 1 bed • 1 bath • 9851 ft²
Plot for sale in Building Plot at Sorak, Swordale Road, Evanton, Ross-Shire IV16 9UZ, IV16 — £100,000 • 1 bed • 1 bath
Land for sale in Plot 3 SW of Ballachraggan Cottage, Kildary, Ross-ShireIV18 — £35,000 • 1 bed • 1 bath • 455 ft²
Plot for sale in Site 3 Comerscroft, Fortrose, Highland. IV10 8RX, IV10 — £170,000 • 1 bed • 1 bath
Plot for sale in Plot 2 At Larchbridge Way, Dingwall, IV15 — £73,000 • 1 bed • 1 bath
Plot for sale in Site 4 Comerscroft, Fortrose, Highland. IV10 8RX, IV10 — £170,000 • 1 bed • 1 bath


































