**Standout Features:**
- Outline planning permission for a 3-bedroom detached dwelling (Application #23/00933/OUT)
- Freehold tenure
- Located in a family-oriented neighborhood near Newcastle-under-Lyme Town Centre
- Ample space for a medium-sized garden
- Access to local amenities including playgrounds, fast food, and leisure facilities
- Good educational options nearby with several schools rated "Good" by Ofsted
**Concerns:**
- The lot is currently overgrown, requiring landscaping and potential initial investment in clearing
- Area classified as deprived, which may impact long-term investment value
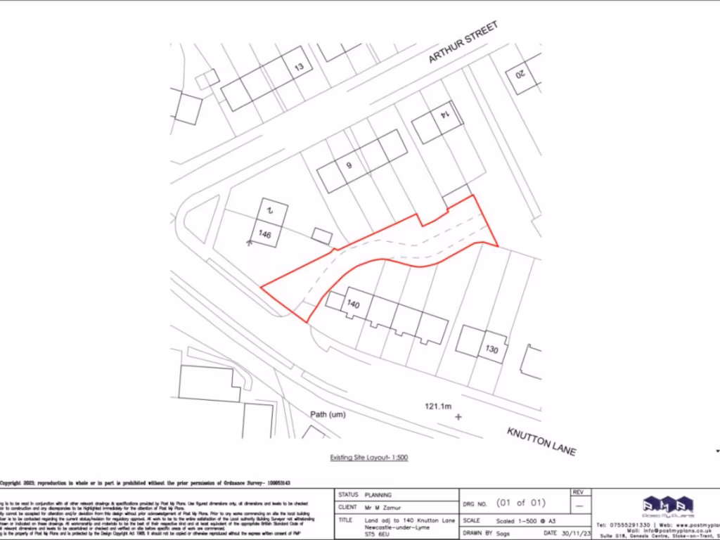
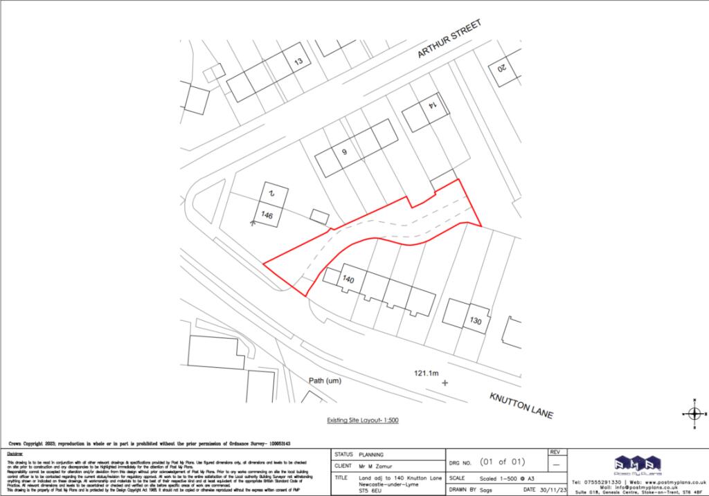
Nestled in a developing residential area of Knutton Lane, this freehold land parcel is primed for your vision. With outline planning granted for a 3-bedroom detached home, this site offers an exciting opportunity for builders and investors looking to capitalize on the growing demand for family homes. Close to Newcastle-under-Lyme Town Centre, enjoy the convenience of nearby amenities, including parks, schools, and local services, all making it a family-friendly enclave.
While the land may need some initial landscaping efforts due to it being a currently overgrown lot, the potential for creating a comfortable family haven in a peaceful suburban setting is immense. Given the excellent access to local transport and fast broadband, this property is a rare find in a competitive market. With interest likely to rise, don’t miss your chance to secure this promising site—envision your future home here today!
Land for sale in Building Plot on Eleanor Crescent, Newcastle-under-Lyme, Staffordshire, ST5 — £160,000 • 1 bed • 1 bath • 2313 ft²
Plot for sale in Tongue Lane, Brown Edge, Stoke-On-Trent, ST6 — £150,000 • 5 bed • 5 bath
Land for sale in Land Off Church Lane, Newcastle-under-Lyme ST5 6EB, ST5 — £550,000 • 5 bed • 1 bath
Land for sale in Multi Build Plot, Station Road, Keele, ST5 — £200,000 • 1 bed • 1 bath • 13724 ft²
Land for sale in Rose Cottage, The Woodside, Baldwins Gate, Newcastle-under-Lyme, Staffordshire, ST5 — £300,000 • 1 bed • 1 bath
Land for sale in Building Plot, Station Road, Keele, ST5 — £125,000 • 1 bed • 1 bath • 9957 ft²


































