**Standout Features:**
- Former Bennetts Garage Site with potential for redevelopment.
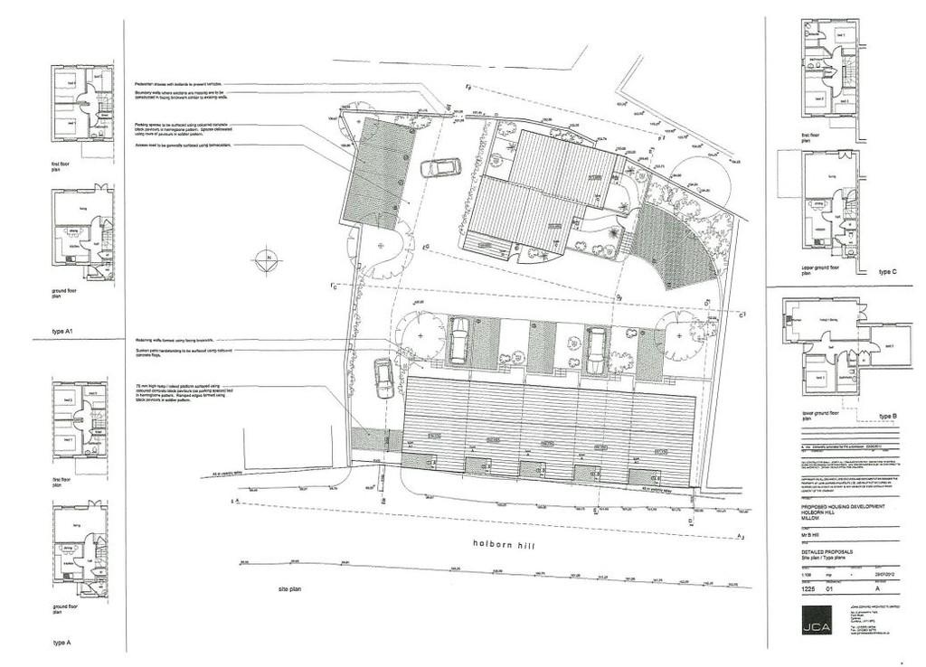
- Previously approved planning permission for seven units: five terraces and two semi-detached houses.
- Well-situated in a busy West Coast town with numerous amenities nearby.
- Owner open to payment term options for potential developers.
- Located within a conservation area, enhancing the site's appeal.
**Summary:**
Discover an exceptional development opportunity on Holborn Hill in Millom, Cumbria. This former garage site, now available for £175,000, offers the potential to create seven residential units, thanks to a previously approved but lapsed planning permission. The parcel of land is surrounded by mature trees, providing a buffer and a hint of privacy, making it suitable for either individual homes or a multi-unit development.
Millom is a vibrant town equipped with essential amenities, including schools, healthcare, and shops all within walking distance. This location not only promises convenience but also a sense of community, with a very low crime rate adding to security and comfort for future homeowners. With variable options for payment, this plot is perfect for investors or developers looking to make a lasting impact in a growing area. Given the comprehensive plans drawn up by John Coward Architects, the opportunity to re-submit plans speaks to the property’s flexibility and potential for future profits. Don't miss your chance to stake your claim on this promising site—opportunities like this are rare and typically do not last long!
Commercial property for sale in Residential Development, 86 Wellington Street, MILLOM, LA18 — £75,000 • 1 bed • 1 bath • 2458 ft²
Land for sale in Land At Horn Hill, MILLOM, LA18 — £40,000 • 1 bed • 1 bath
Land for sale in Devonshire Road, Millom, LA18 — £1,000,000 • 1 bed • 1 bath
Plot for sale in Millom Road, Millom, LA18 — £600,000 • 1 bed • 1 bath
Land for sale in Bay View Close, Millom, Cumbria, LA18 — £38,000 • 1 bed • 1 bath
Land for sale in Church Street, Dalton-in-Furness, LA15 — £120,000 • 1 bed • 1 bath






















