LS25 6AU - Land for sale in Garden Lane, Sherburn In Elmet, Leeds, LS25

View on Property Piper

Land for sale in Garden Lane, Sherburn In Elmet, Leeds, LS25

Summary - 44, GARDEN LANE, LEEDS, SHERBURN IN ELMET LS25 6AU

1 bed 1 bath Land

Freehold development plot with permission for three modern detached homes in Sherburn.
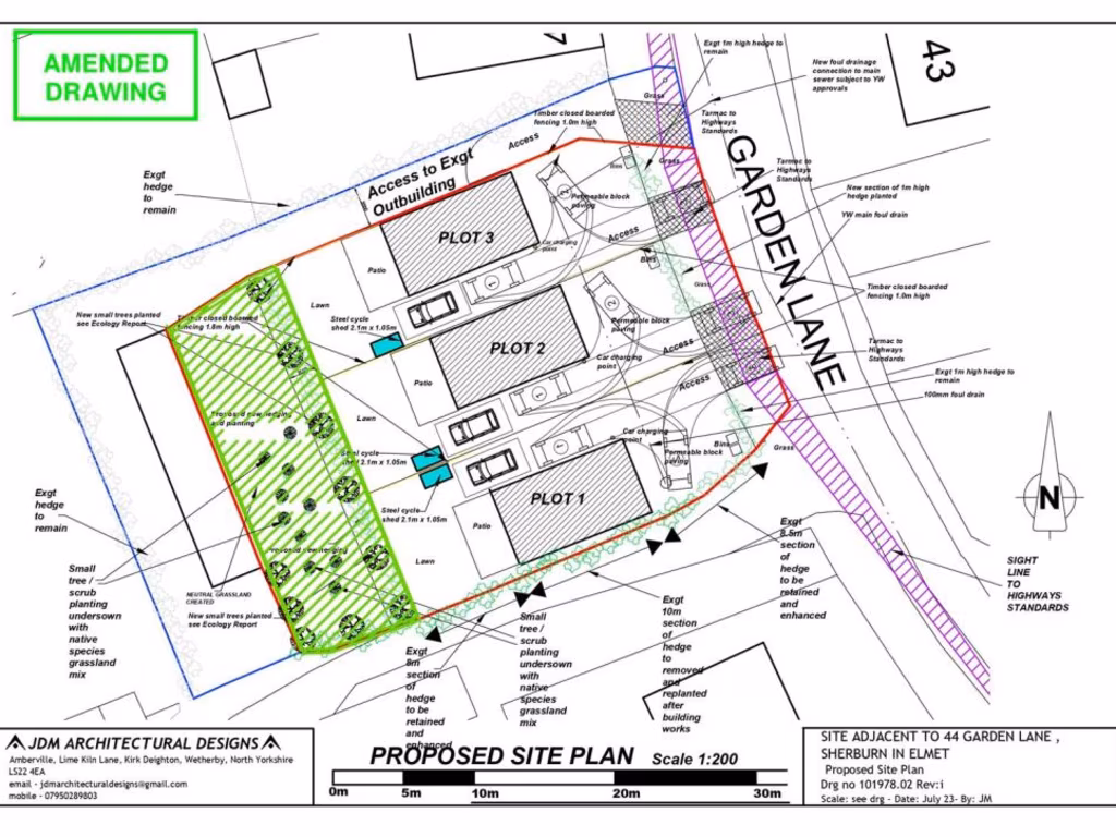
Planning permission granted for three detached dwellings (ZG2023/1153/FUL)
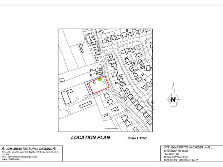
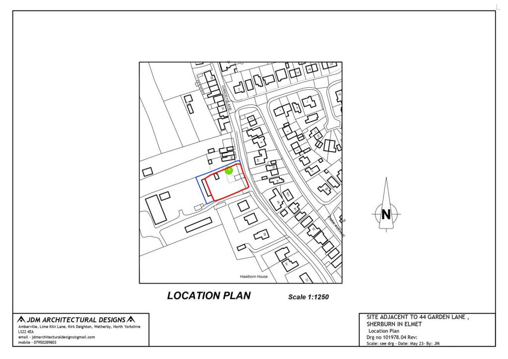
Freehold site adjacent to 44 Garden Lane in affluent, low-crime area
Private gardens and garage provision shown on the proposed site plan
No flood risk; fast broadband and average mobile signal
Close to good-rated primary and secondary schools
Requires full construction, utility connections and planning condition work
Suitable for developers/investors; not a ready-built property
Small town fringe location — semi-rural feel with town access
This parcel of freehold land on Garden Lane, Sherburn in Elmet, offers a ready-made development opportunity with planning permission granted (ZG2023/1153/FUL) for three detached dwellings. Positioned on the town fringe in a very affluent area with low crime, the site suits developers or investors targeting family-sized homes close to good local schools and amenities. Broadband is fast and the site has no flood risk, supporting modern resale or rental expectations.

The site sits adjacent to 44 Garden Lane and includes space for private gardens and a garage per dwelling as shown on the proposed site plan. Local infrastructure and public transport links are accessible, and nearby primary and secondary schools have good Ofsted ratings—an attractive feature for buyers or tenants with families. The suburban setting offers calm, semi-rural appeal while remaining within easy reach of Leeds.

Buyers should account for build and servicing costs: the plots are cleared for development but will require construction and connection to utilities, planning condition compliance and typical on-site works. This is a speculative development opportunity best suited to a developer or investor prepared to manage the build process and short-term holding costs. With planning in place and strong local demand indicators, the site provides a clear route to three modern family homes.

Property Details

Brochure Descriptions

Image Descriptions

Textual Property Features

Target Audience

AI Tags

Detected Visual Features

Nearby Schools

Nearest Bars And Restaurants

,,,,}

Nearest General Shops

,,}

Nearest Grocery shops

,,}

Nearest Supermarkets

,,}

Nearest Religious buildings

,,}

Nearest Medical buildings

,,,}

Nearest Airports

}

Nearest Leisure Facilities

,,,,}

Nearest Tourist attractions

,,}

Nearest Train stations

,,,,}

Nearest Bus stations and stops

,,,,}

Nearest Hotels

,,}

Tags

Local Market Stats

AirBnB Data

Similar Properties

Meta

High Res Images

Compatible Images

Low res Images

Thumbnails

Raw Images