**Standout Features:**
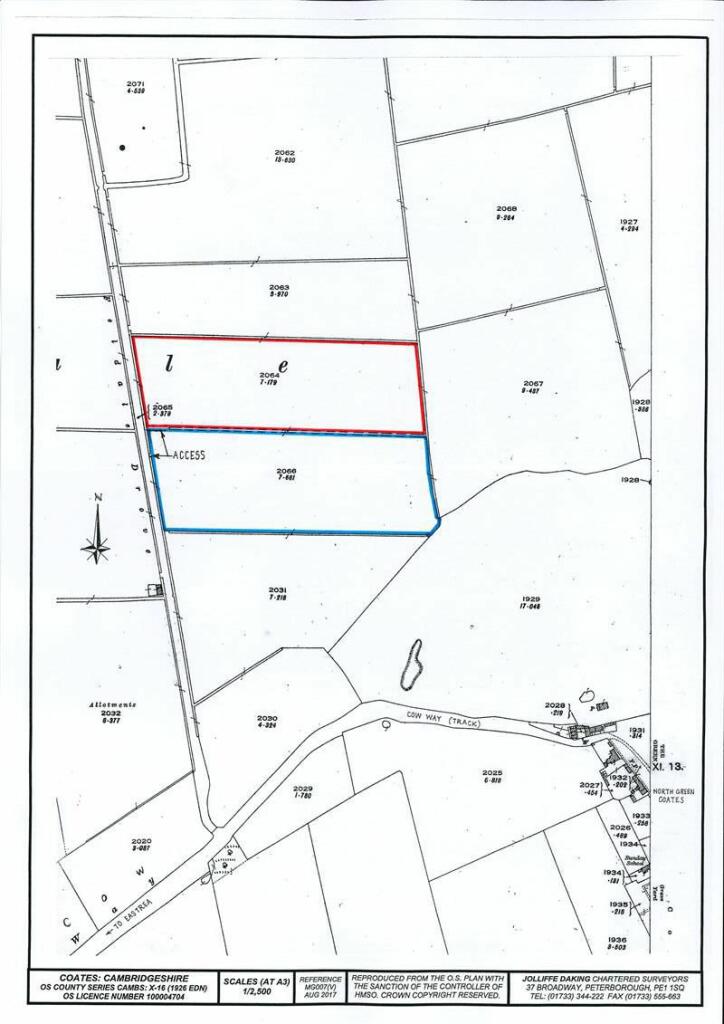
- Freehold agricultural land totaling 7.179 acres (2.905 hectares).
- Grade 2 arable land—ideal for farming or investment.
- Located in the tranquil rural area of Feldale Drove, Coates, near Peterborough.
- Vacant possession available, offering immediate use and flexibility.
**Potential Concerns:**
- Land has not been cultivated since September 2021.
- Lack of physical boundaries from adjacent land parcel may impact layout for new activities.
Explore this expansive 7.179-acre plot of Grade 2 arable agricultural land in the serene village of Feldale Drove, Coates. Priced attractively at offers not less than £54,000, this freehold property presents an incredible investment opportunity for farmers, developers, or those seeking a quiet retreat in beautifully rural surroundings. The land is currently vacant, granting you the freedom to cultivate, develop, or use it for recreational purposes as you envision.
With a strong community vibe and essential amenities within walking distance, including schools and local shops, this land not only provides a canvas for agricultural pursuits but also holds potential for future residential development. The tranquil location promises low crime and access to outdoor leisure activities, making it appealing for families or retirees looking for a peaceful lifestyle. Don't miss the chance to secure this unique piece of countryside—an ideal foundation for your aspirations, whether it be farming, development, or personal sanctuary with plenty of room to grow.
Land for sale in Feldale Drove: Coates , PE7 — £52,000 • 1 bed • 1 bath
Land for sale in Feldale Drove: Coates , PE7 — £100,000 • 1 bed • 1 bath
Farm land for sale in Beggars Bridge, Coates, PE7 — £300,000 • 1 bed • 1 bath
Land for sale in Werrington Bridge Road, Milking Nook, Peterborough, PE6 — £150,000 • 1 bed • 1 bath
Land for sale in Northborough Road, Milking Nook, Peterborough, PE6 — £200,000 • 1 bed • 1 bath
Farm land for sale in Agricultural Land off Dowsdale Bank, Crowland, PE6 — £120,000 • 1 bed • 1 bath






