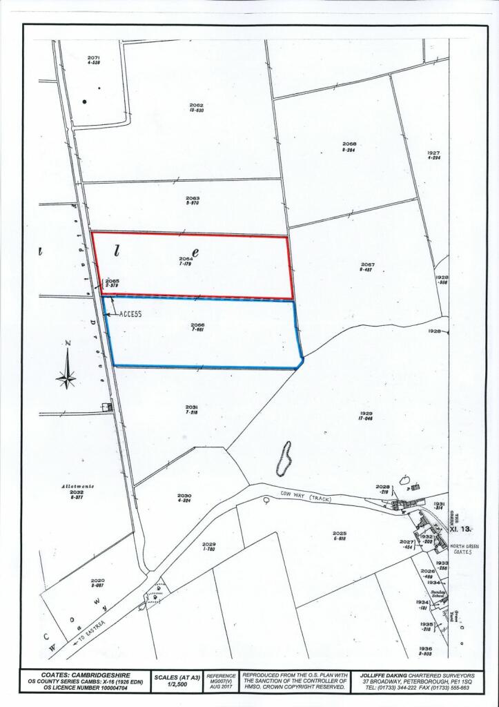
**Standout Features:**
- 14.840 acres (6.006 hectares) of freehold Grade 2 arable agricultural land
- Perfect for agricultural expansion or rural development
- Located in Coates, near Peterborough
- Offers invited from £110,000, with vacant possession
- Low crime area with average broadband and mobile signal
- Close to amenities, including schools and leisure facilities
**Summary:**
Seize this rare opportunity to own 14.840 acres of prime arable land in the tranquil rural setting of Coates, near Peterborough. This expansive freehold plot offers incredible potential for agricultural expansion or as a long-term investment in a location that balances a peaceful lifestyle with the convenience of nearby amenities such as Coates Primary School and various shops and eateries within walking distance.
The land has not been cultivated since September 2021, providing you with a blank canvas to implement your agricultural, residential, or development aspirations. While separate offers are invited for its two parcels—each with unique ownership considerations—purchasing the entirety ensures a commanding presence in this self-sufficient community. With offers starting at £110,000, don’t miss the chance to secure this substantial investment. Explore the possibilities for renovation or expansion in a low-crime area characterized by a rural charm—this land won’t be available for long!
Land for sale in Feldale Drove: Coates , PE7 — £50,000 • 1 bed • 1 bath
Land for sale in Feldale Drove: Coates , PE7 — £52,000 • 1 bed • 1 bath
Farm land for sale in Beggars Bridge, Coates, PE7 — £300,000 • 1 bed • 1 bath
Land for sale in Werrington Bridge Road, Milking Nook, Peterborough, PE6 — £150,000 • 1 bed • 1 bath
Land for sale in Northborough Road, Milking Nook, Peterborough, PE6 — £200,000 • 1 bed • 1 bath
Farm land for sale in Hospital Road, Doddington, PE15 — £95,000 • 1 bed • 1 bath






