**Standout Features:**
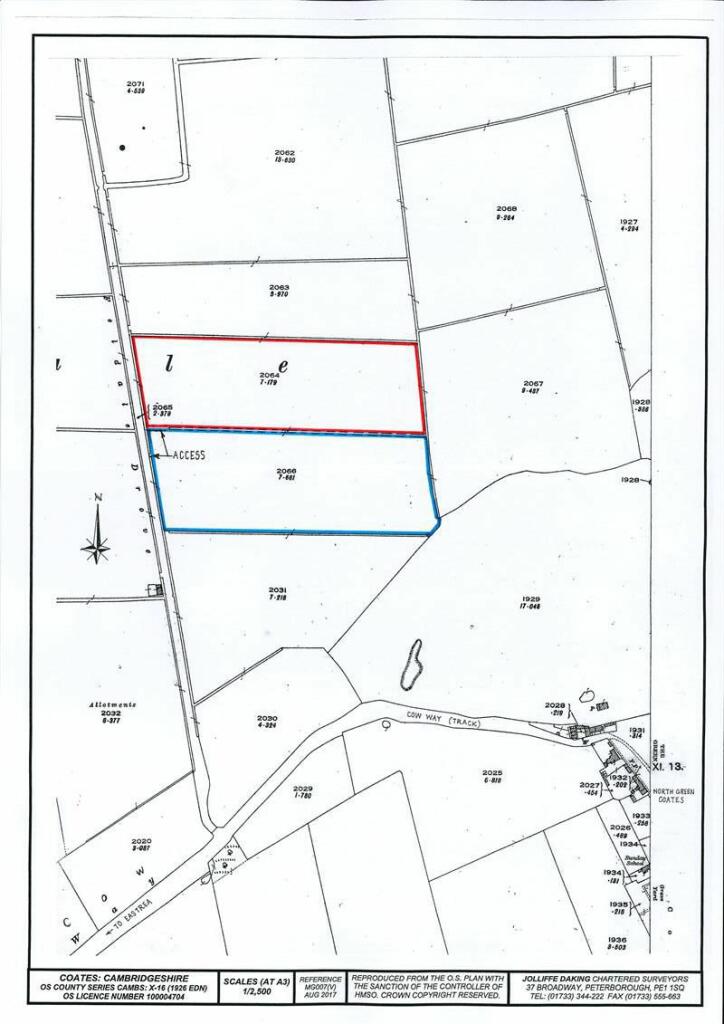
- 7.661 acres (3.100 hectares) of Grade 2 arable agricultural land
- Freehold with vacant possession
- Located in the rural area of Coates, near Peterborough
- Priced at offers not less than £58,000
- Low crime area with a self-sufficient retirement community
- Walking distance to local amenities, school, and leisure options
**Potential Concerns:**
- Land hasn't been cultivated since September 2021
- The field is not physically defined from a neighboring parcel, which is under different ownership
This expansive 7.661-acre parcel of Grade 2 arable land in the picturesque rural setting of Coates, near Peterborough, offers a fantastic opportunity for investment or agriculture. Priced competitively with offers starting at £58,000, this freehold property boasts vacancy for immediate use. Enjoy the tranquility of a low-crime area within a supportive community, with essential amenities, including a primary school, shops, and dining, just a short stroll away.
The land presents excellent potential for future cultivation, landscaping, or even small-scale development, appealing especially to investors or those looking for a serene countryside retreat. While the field has remained uncultivated since 2021, it offers an impressive blank canvas for agricultural enthusiasts or a sanctuary amidst nature. Don’t miss your chance to secure this unique opportunity to own a substantial piece of land in a desirable rural location—act swiftly, as opportunities like this won't last!
Land for sale in Feldale Drove: Coates , PE7 — £50,000 • 1 bed • 1 bath
Land for sale in Feldale Drove: Coates , PE7 — £100,000 • 1 bed • 1 bath
Farm land for sale in Beggars Bridge, Coates, PE7 — £300,000 • 1 bed • 1 bath
Land for sale in Werrington Bridge Road, Milking Nook, Peterborough, PE6 — £150,000 • 1 bed • 1 bath
Land for sale in Northborough Road, Milking Nook, Peterborough, PE6 — £200,000 • 1 bed • 1 bath
Farm land for sale in Agricultural Land off Dowsdale Bank, Crowland, PE6 — £120,000 • 1 bed • 1 bath






