High‑footfall mixed‑use freehold opposite Woodford station with stable income and asset‑management upside.
Prime high‑footfall location opposite Woodford Central Line station
Current total income £66,000 pa from retail plus two residential lets
Ground retail on 20‑year FR&I lease from 2022; five‑year reviews
Two x 2‑bed flats let on ASTs at £1,200 pcm each (short‑term relet risk)
Rear off‑street parking and roof garden provide added amenity
Basement included but has restricted head height; limited usability
Part of upper floors sold on 125‑year lease (peppercorn); freehold partial
Mixed EPCs (Shop B, Flats E and D); likely need energy upgrades
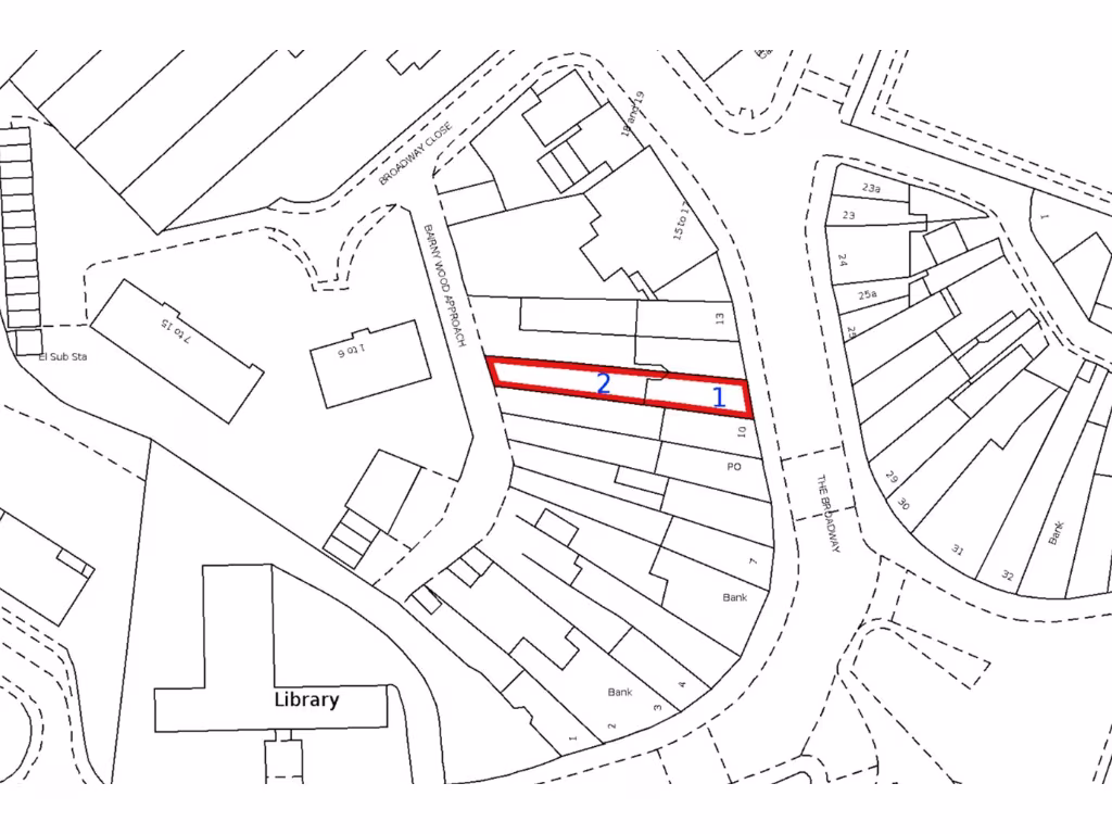
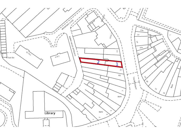
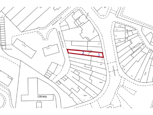
This freehold mid‑terrace investment sits on The Broadway directly opposite Woodford Underground Station, delivering high footfall and excellent transport links. The property combines an extended ground‑floor café/retail unit (with basement) and two let 2‑bed flats above, generating a current total income of £66,000 per annum. The retail unit is let on a 20‑year full repairing and insuring lease from 2022, with regular rent reviews and a tenant’s 10‑year break option.
The building is a Victorian red‑brick three‑storey unit with period features, high ceilings at ground level and a roof garden. Rear off‑street parking and ancillary basement space add operational flexibility, though the basement has restricted head height. Upper‑floor flats are standard size and let on assured shorthold tenancies, offering immediate rental income but short‑term re‑letting risk.
Buyers should note some material points: one upper floor interest has been sold on a long 125‑year lease (peppercorn ground rent), so the freehold ownership does not include that element; EPCs vary across units (Shop B, 1st floor E, 2nd floor D); and the original solid brick walls likely lack modern insulation, so upgrades to energy efficiency and communal services could be needed. There is clear scope to add value through active management, lease renegotiation at reviews, and modest refurbishment of the flats and basement.
Overall this is a well‑located, town‑centre freehold investment suitable for an investor seeking steady mixed rental income with medium‑term upside from asset management and energy‑efficiency upgrades. The asking price reflects a substantial footprint in a very affluent, well‑connected area with strong local amenities.
High street retail property for sale in Jubilee Parade, Snakes Lane, Woodford Green, Essex, IG8 — £650,000 • 1 bed • 1 bath • 2037 ft²
Industrial development for sale in High Road & 9-10 Johnston Road, Woodford Green, IG8 — £1,650,000 • 1 bed • 1 bath • 3647 ft²
3 bedroom mixed use property for sale in Mulberry Way, London, E18 — £799,000 • 3 bed • 2 bath • 2106 ft²
2 bedroom mixed use property for sale in Snakes Lane East, Woodford Green, Essex, IG8 — £510,000 • 2 bed • 1 bath • 1901 ft²
Mixed use property for sale in High Road, London, E18 — £905,000 • 1 bed • 1 bath • 805 ft²
Commercial property for sale in High Road, Woodford Green, Essex, IG8 — £1,000,000 • 1 bed • 1 bath • 631 ft²






































