SA10 6BR - 1 bed skewen building plot in Talbot Road, SA10 6BR

View on Property Piper

Land for sale in Talbot Road, Skewen, Neath, Neath Port Talbot., SA10

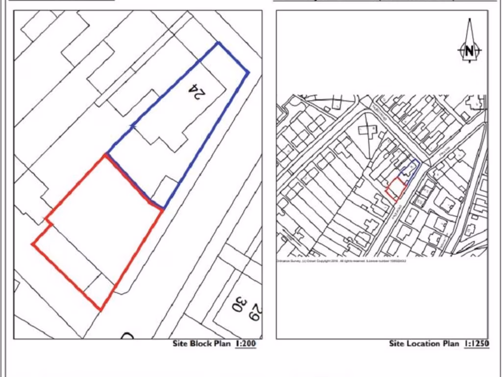
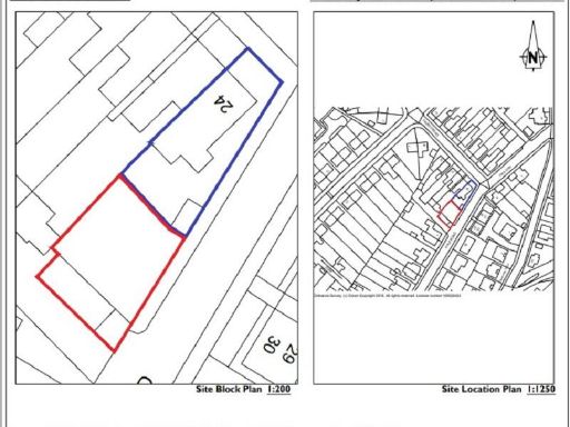
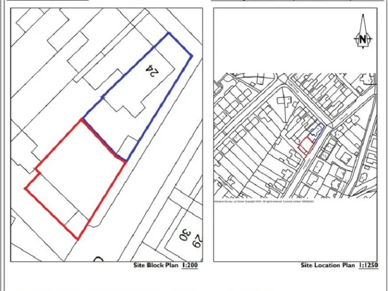
Summary - 24 TALBOT ROAD SKEWEN NEATH SA10 6BR

1 bed 1 bath Land

Full planning for modern two‑storey home in popular Skewen location, parking and garden included.
Full planning permission P2016/0830 for a two‑storey detached dwelling
This cleared plot on Talbot Road comes with full planning permission (P2016/0830) for a contemporary two‑storey detached house, giving a clear route to build rather than start from scratch. The proposed design includes off‑street parking and a modest garden, suited to a compact family home or a first purchase where future value can be added by completing the build to a modern specification.

The site sits in a popular residential part of Skewen with local shops, cafés and pubs within easy reach, plus good links to Neath and Swansea. Practical benefits include no identified flood risk, fast broadband and low local crime, making the plot sensible for buyers prioritising convenience and connectivity.

Material points to note: the area registers as relatively deprived, tenure is not specified, and the planning permission dates from 2016 — buyers should confirm current validity and any pre‑commencement conditions. External amenity space is described as limited to a modest garden, so the plot suits those seeking a compact home rather than extensive grounds. Overall, the plot offers a straightforward opportunity for a first‑time buyer or investor prepared to complete the build.

Property Details

Brochure Descriptions

Image Descriptions

Textual Property Features

Target Audience

AI Tags

Detected Visual Features

Nearest Bars And Restaurants

,,,,}

Nearest General Shops

,,}

Nearest Grocery shops

,,}

Nearest Supermarkets

,,}

Nearest Religious buildings

,,}

Nearest Medical buildings

,,,}

Nearest Airports

}

Nearest Leisure Facilities

,,,,}

Nearest Tourist attractions

,,}

Nearest Train stations

,,,,}

Nearest Bus stations and stops

,,,,}

Nearest Hotels

,,}

Tags

Local Market Stats

AirBnB Data

Similar Properties

Meta

High Res Images

Compatible Images

Low res Images

Thumbnails

Raw Images