Approved two-bedroom bungalow scheme with generous rear garden and parking..
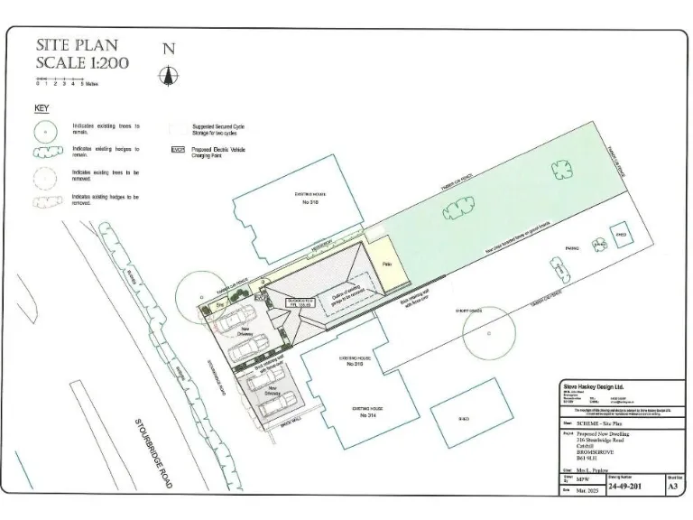
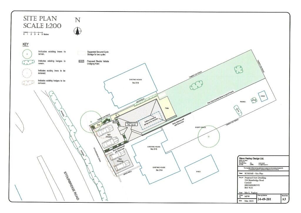
Planning permission granted for two-bedroom detached bungalow (application 25/00668/TDC).|Freehold plot with long rear garden and rear outdoor potential.|Off-street parking for two vehicles to the front as approved.|Open-plan kitchen/living/dining with master en-suite in proposed layout.|No flood risk; excellent mobile signal and fast broadband available.|Sale cannot complete until HM Land Registry first registration confirmed.|Buyer must verify services, measurements and technical details themselves.
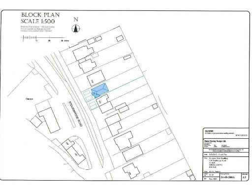
A cleared building plot on Stourbridge Road with planning permission for a compact two-bedroom detached bungalow offers a straightforward route to a new-build home in an established suburban setting. The approved design provides open-plan living, a principal bedroom with en-suite, family bathroom and off-street parking for two cars, making this an economical option for a first home or small household.
The site benefits from a long rear garden, excellent mobile signal and fast broadband — practical for remote working and family life — and sits in a very affluent area with a mix of good state and independent schools nearby. There is no identified flood risk, and local amenities and public transport are within easy reach.
Important legal and due-diligence points are clear: the plot is freehold but the sale cannot legally complete until first registration at HM Land Registry is confirmed (application underway). Purchasers should also verify services, measurements and any other technical matters themselves, and consult the planning portal (application 25/00668/TDC) for full permission details.
This plot is best for buyers who want control of a new-build project without starting from full design stage, and who can manage the remaining administrative and technical checks before completion.
Plot for sale in Foxlydiate Lane, Redditch B97 — £325,000 • 4 bed • 3 bath • 2080 ft²
Plot for sale in Birmingham Road,Marlbrook,Bromsgrove,Worcestershire,B61 0HL, B61 — £525,000 • 7 bed • 5 bath • 4460 ft²
Plot for sale in Racks Lane, Ombersley, Droitwich, WR9 — £190,000 • 2 bed • 1 bath • 1034 ft²
Land for sale in Land, Foley Gardens, Stoke Prior, Bromsgrove, B60 4LD, B60 — £450,000 • 5 bed • 3 bath • 711 ft²
Plot for sale in Woodcote Green, Bromsgrove B61, Worcestershire, B61 — £565,000 • 1 bed • 1 bath • 2852 ft²
1 bedroom bungalow for sale in Haynes Close, Catshill, Bromsgrove, Worcestershire, B61 — £285,000 • 1 bed • 1 bath • 423 ft²


















