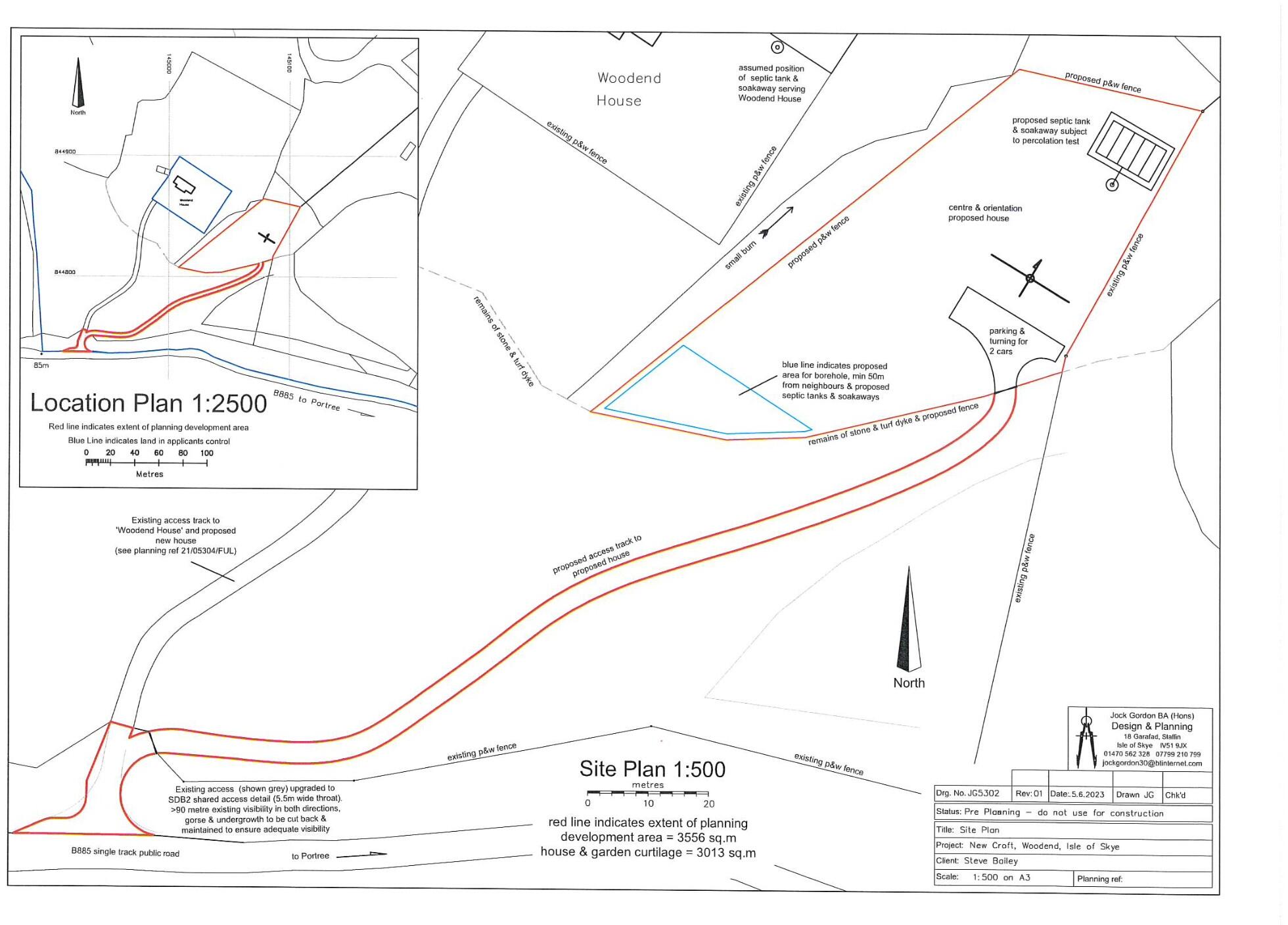
**Standout Features:**
- **Sizeable Plot:** 0.77 acres with panoramic views of the surrounding countryside.
- **Recent Planning Approval:** Granted for a single or 1½ storey house (ref: 23/02728/PIP).
- **Rural Location:** Situated in the charming crofting township of Woodend, just a short drive from the vibrant village of Portree.
- **Access Requirements:** Buyers will need to create access from the township road.
- **Utilities:** Connections for services and installation of sewage treatment will be the responsibility of the purchaser.
**Summary:**
Discover the perfect rural escape with this expansive 0.77-acre building plot located in Woodend, Portree, offering stunning panoramic views of the Isle of Skye's picturesque landscape. Recently granted planning permission in principle allows for the construction of a single or 1½ storey home, providing an excellent opportunity to create your ideal retreat or investment property. While you will need to establish access from the township roadway and arrange for essential services — including sewage — the possibilities to develop a peaceful sanctuary are endless.
Situated in a quaint crofting community, this plot is just a short drive from Portree’s array of amenities, including shops and schools. It’s an ideal choice for families, rural workers, or anyone dreaming of life amid nature. Don’t miss out on the chance to build your vision in this serene and beautiful setting; opportunities like this are rare and won't last long!
Plot for sale in House Site, Glengrasco, Portree, Isle Of Skye, IV51 9LN, IV51 — £60,000 • 1 bed • 1 bath
Plot for sale in Plot at 2 Coishletter, Edinbane, Portree, Isle of Skye, IV51 9PW, IV51 — £50,000 • 1 bed • 1 bath
Plot for sale in Treaslane, Portree, Isle of Skye, IV51 9NX, IV51 — £75,000 • 1 bed • 1 bath
Plot for sale in Plot at 1, Glenuachdarach, Glenhinnisdal, Portree, Isle of Skye, IV51 9XA, IV51 — £40,000 • 1 bed • 1 bath
Plot for sale in Plot at Kensaleyre, Portree, ISLE OF SKYE, IV51 — £125,000 • 1 bed • 1 bath
Land for sale in Land at Steele Croft, Carbost, Isle of Skye, IV47 8SY, IV47 — £265,000 • 1 bed • 1 bath


















