Large decrofted site with scenic views — ideal for a patient self-build buyer.
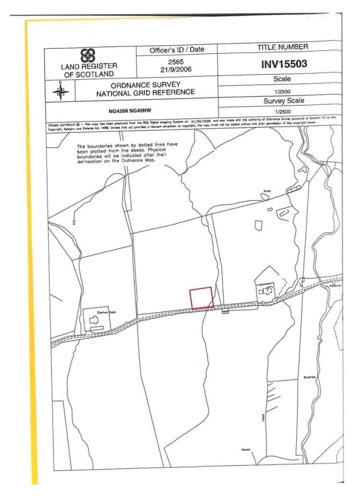
- Approximately 0.27 acres (to be confirmed by title deed)
- Decrofted site with township road access proposed
- Lapsed planning permission (Ref 07/00397/FULSL); new application required
- Relatively flat site with widespread scenic views
- Services believed nearby; purchaser must confirm connections
- No mobile signal and very slow broadband
- Freehold tenure; sold as seen with lapsed planning
- Remote location; area classed as very deprived
A rare rural plot of about 0.27 acres in the crofting township of Glenuachdarach, Glenhinnisdal, offering wide, open views typical of the Isle of Skye. The site is relatively flat and has a proposed access from the township road; services are believed to be nearby but purchasers must confirm availability and connections.
Full planning permission was previously granted under reference 07/00397/FULSL but lapsed in 2010. Any buyer should allow time and cost for a new planning application and for securing necessary approvals — the site is sold as seen with planning lapsed.
This decrofted, freehold plot suits someone seeking a self-build in a remote setting, or an investor prepared to navigate local planning and infrastructure checks. Note practical constraints: no mobile signal, very slow broadband and the wider area is classified as very deprived, which may affect utilities and future resale prospects.
The plot’s strengths are its scenic location, flat ground and clear development potential subject to permission. Prospective purchasers should commission their own surveys and enquiries about utility connections, access and title boundaries before committing.
Plot for sale in House Site, Glengrasco, Portree, Isle Of Skye, IV51 9LN, IV51 — £60,000 • 1 bed • 1 bath
Plot for sale in Plot at 5 Treaslane, Portree, Isle of Skye, IV51 9NX, IV51 — £75,000 • 1 bed • 1 bath
Plot for sale in Plot at Kensaleyre, Portree, ISLE OF SKYE, IV51 — £125,000 • 1 bed • 1 bath
Land for sale in Plot & Croft at 16 Lochbay, Waternish, Isle of Skye, IV55 8GD, IV55 — £150,000 • 1 bed • 1 bath
Plot for sale in Plot at 2 Coishletter, Edinbane, Portree, Isle of Skye, IV51 9PW, IV51 — £50,000 • 1 bed • 1 bath
Plot for sale in Riverside Plot Skeabost Bridge, Portree, Isle of Skye, IV51 9NP, IV51 — £165,000 • 1 bed • 1 bath


















