Ready-to-build freehold site with detailed plans and strong GDV potential.
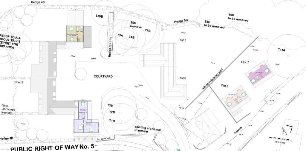
- Planning permission granted for nine homes, mix of 2–6 bedrooms
- Former hotel demolished; cleared site ready for build
- Freehold title with clean transfer expected
- Site area approx 0.57 acres / 2,321 sqm
- Projected GDV approximately £4.6M–£5.4M
- Rural hamlet setting; isolated location may slow sales
- Broadband speeds very slow; likely require upgrades
- Area classified as deprived; factor for local market demand
An unusual development opportunity in the rolling countryside of County Durham, this cleared freehold site benefits from planning permission for nine new homes (a mix of 2–6 bedrooms). With detailed plans available and the former hotel already removed, the plot is ready for immediate development, shortening pre-construction timelines for an experienced developer.
The site extends to approximately 0.57 acres (2,321 sqm) and sits in a rural hamlet setting. The seller has indicated a guide price of £950,000 and a projected Gross Development Value in the region of £4.6m–£5.4m, presenting clear headline upside for a viable build-and-sell scheme. Mobile signal is excellent and there is no identified flood risk on site.
There are practical constraints to consider: the location is isolated and in an area assessed as deprived, which may affect local demand and sales pace. Broadband speeds are very slow, which could be a factor for some buyers and require upgrading as part of development or marketing. The hamlet setting offers woodland and pasture surroundings but limited immediate services.
This plot will suit a developer or investor comfortable working in rural markets, able to manage on-site infrastructure improvements and marketing to reach buyers for higher-specification new homes. Detailed planning documents, surveys and layout plans are available for due diligence prior to offer.
Land for sale in Development Site at Foster Terrace, Foster Terrace, Croxdale, Durham, DH6 — £150,000 • 1 bed • 1 bath
Plot for sale in Fair View, Esh Winning, Durham, DH7 — £180,000 • 1 bed • 1 bath
Land for sale in Land Rear Of John Street South, Meadowfield, DH7 — £750,000 • 1 bed • 1 bath • 5630 ft²
6 bedroom detached house for sale in Priors Meadow, Bearpark, County Durham, DH7 — £600,000 • 6 bed • 3 bath • 3245 ft²
Property for sale in Wheatley Hill, Durham, DH6 — £1,750,000 • 1 bed • 1 bath
Property for sale in Land At Back John Street, Meadowfield, Durham, DH7 — £295,000 • 1 bed • 1 bath






































































































