Small, rare parcel near Ashdown Forest with development potential subject to consent.
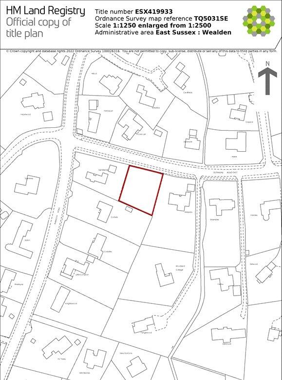
Freehold vacant parcel approx 0.242 (0.098 ha) wooded scrubland
A rare freehold parcel of scrub and small woodland in Crowborough Warren, offered at £50,000. The 0.242 plot (0.098 hectares) contains mature beech, oak, sweet chestnut and rhododendrons, with established boundary hedging and fencing. Access is from Glenmore Road East via a timber gate and the town centre and Ashdown Forest are within walking distance.
The land may suit a buyer seeking a quiet, green asset close to local amenities and rail links; alternative uses could be possible but would require all necessary planning consents. Important practical points: the seller states tree preservation applies to the site (a copy is available) and the area has been left as overgrown scrub, so clearance and ongoing maintenance will be needed before any development or change of use.
This is a straightforward vacant freehold with low local crime, fast broadband in the area and average mobile signal. Prospective purchasers should commission their own searches and surveys, confirm boundary positions, check access rights, and satisfy themselves about planning, services and the implications of tree preservation before offering.
Land for sale in Land at Alice Bright Lane, Crowborough, East Sussex, TN6 3SQ, TN6 — £50,000 • 1 bed • 1 bath
4 bedroom detached house for sale in St. Johns Road, Crowborough, East Sussex, TN6 — £875,000 • 4 bed • 1 bath • 2231 ft²
4 bedroom detached house for sale in Coopers Lane, Crowborough, East Sussex, TN6 — £645,000 • 4 bed • 2 bath • 1997 ft²
Land for sale in Plot 18, off Stonehurst Lane, Hadlow Down, Wealdon, EAST SUSSEX, TN224EP, TN22 — £6,000 • 1 bed • 1 bath • 2690 ft²
5 bedroom detached house for sale in Glenmore Road East, Crowborough, TN6 — £750,000 • 5 bed • 2 bath • 2411 ft²
26 bedroom detached house for sale in Warren Drive, Fielden Road, Crowborough, East Sussex, TN6 — £1,200,000 • 26 bed • 1 bath • 13250 ft²


































