**Standout Features:**
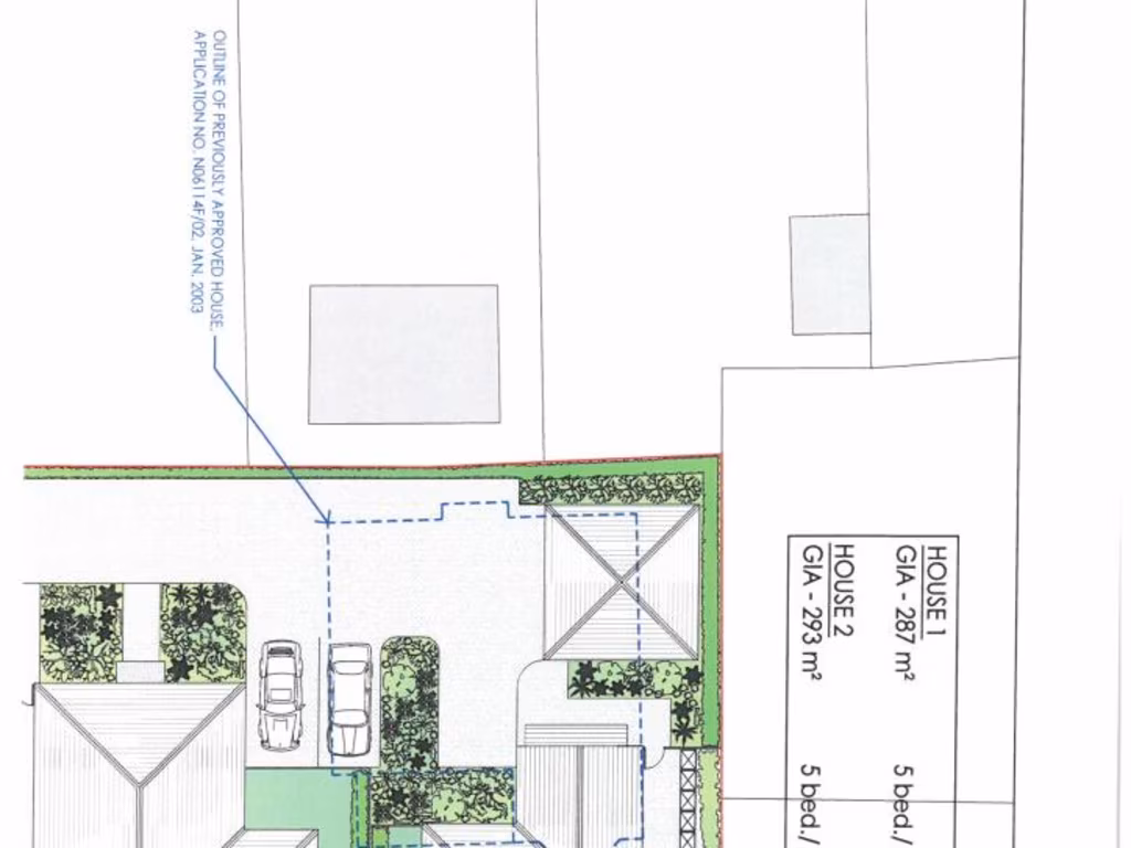
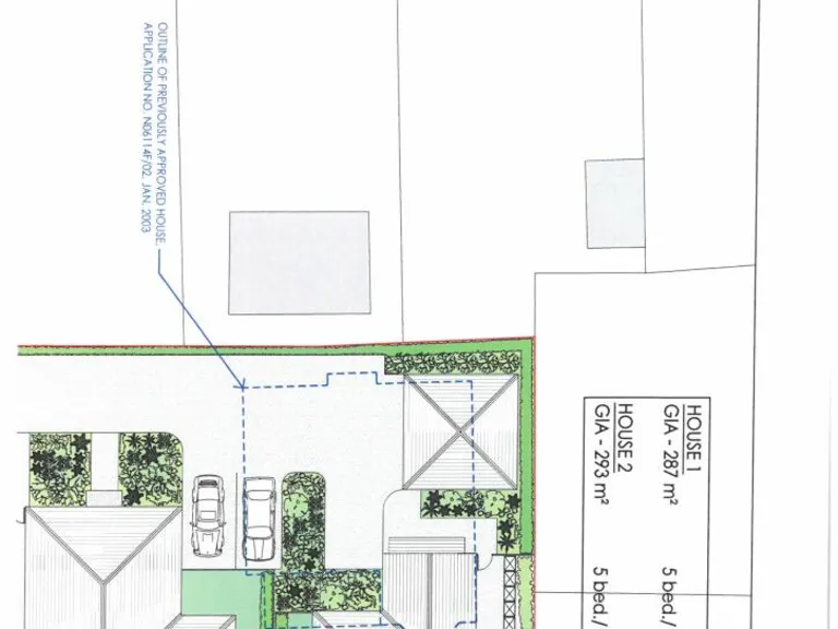
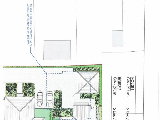
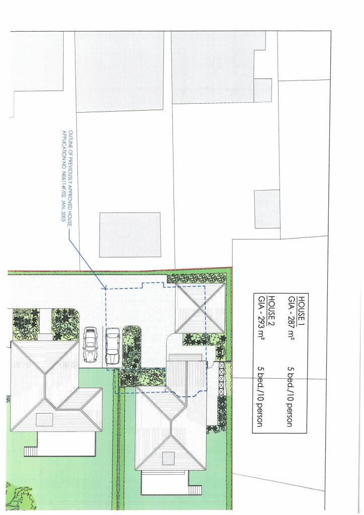
- Large development plot for two detached houses (3000 sqft each)
- Breathtaking views overlooking a golf course and sports club
- Freehold tenure with off-street parking
- Subject to planning permission for demolition and new builds
- Located in a sought-after, affluent area with low crime rates
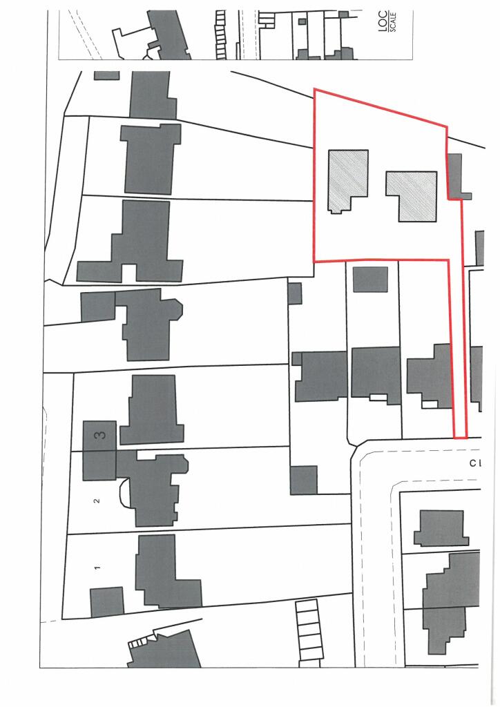
Nestled in an enviable location on Clifford Road, this expansive plot offers a promising development opportunity for investors or families looking to create their dream homes. With a generous space conducive for the construction of two detached residences—each boasting approximately 3000 square feet—there's ample room for bespoke design, private gardens, and off-street parking.
The existing dwelling, "The Banda," is a single-storey structure that needs renovation, providing a blank canvas for visionary renovations or complete redevelopment. With stunning views of the surrounding countryside, including a nearby golf course, this site not only promises tranquility but also addresses the growing demand for spacious homes in a highly desirable area.
Potential buyers should note that this opportunity awaits planning permission approval; however, the expansive plot size and prime location make this a rare find in a market that values exclusivity and growth. Don’t miss the chance to secure a piece of property with exceptional development potential, perfect for discerning investors or families keen on customizing a living space that caters to modern lifestyles.
Land for sale in Beech Hill Avenue, Hadley Wood, Hertfordshire, EN4 — £3,500,000 • 1 bed • 1 bath
Plot for sale in Quinta Drive, Arkley, Hertfordshire, EN5 — £1,495,000 • 1 bed • 1 bath
Land for sale in Rowley Lane, Barnet, EN5 — £100,000 • 1 bed • 1 bath
Land for sale in Partingdale Lane, Mill Hill, London, NW7 — £3,650,000 • 1 bed • 1 bath • 7500 ft²
Land for sale in Quinta Drive, Barnet, EN5 — £1,500,000 • 1 bed • 1 bath • 5468 ft²
4 bedroom detached house for sale in Barnet Road, Arkley, Hertfordshire, EN5 — £1,500,000 • 4 bed • 2 bath • 1920 ft²


























































