### Standout Features:
- **Plot Size**: Approximately 0.37 acres (1,488 sqm) with a perimeter of around 234m.
- **Transport Links**: Proximity to A22, providing quick access to M25 and Gatwick Airport.
- **Development Potential**: Opportunities for future development (subject to planning permission).
- **Freehold Title**: Permanent ownership.
- **Location**: Situated in a tranquil hamlet known for a self-sufficient lifestyle.
### Summary:
Discover a unique opportunity to invest in a substantial plot of land on West Park Road, Newchapel, Lingfield. Spanning an impressive 0.37 acres, this versatile site offers excellent transport connections, including easy access to the A22 and M25, ideal for commuters and potential developments. Notably, it also lies close to Gatwick Airport, opening avenues for future projects such as parking facilities (subject to planning permission).
Though currently vacant, the site welcomes a myriad of possibilities, whether you're looking to construct a dream home or explore commercial opportunities. The area features average local crime rates and offers fast broadband, ensuring a comfortable lifestyle. Children will benefit from nearby reputable educational institutions, enhancing family appeal.
This freehold land will be sold at auction, making it a potentially lucrative investment. Don’t miss out on this chance to secure your slice of countryside living and development potential—seize the opportunity before it’s gone!
Land for sale in Eastbourne Road, Blindley Heath, Lingfield, Surrey, RH7 6JX, RH7 — £122,000 • 1 bed • 1 bath • 3927 ft²
Land for sale in Eastbourne Road, Blindley Heath, Lingfield, Surrey, RH7 6JX, RH7 — £83,500 • 1 bed • 1 bath • 2685 ft²
Land for sale in Eastbourne Road, Blindley Heath, Lingfield, Surrey, RH7 6JX, RH7 — £14,000 • 1 bed • 1 bath • 592 ft²
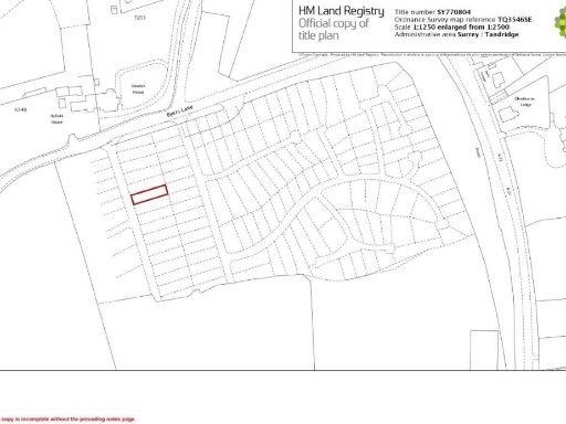
Land for sale in Byers Lane, South Godstone, Godstone, Surrey, RH9 8JH, RH9 — £40,000 • 1 bed • 1 bath • 3423 ft²
Land for sale in Eastbourne Road, Blindley Heath, Lingfield, Surrey, RH7 6JX, RH7 — £35,000 • 1 bed • 1 bath • 1300 ft²
Land for sale in Eastbourne Road, Blindley Heath, Lingfield, Surrey, RH7 6JX, RH7 — £55,000 • 1 bed • 1 bath • 2019 ft²






