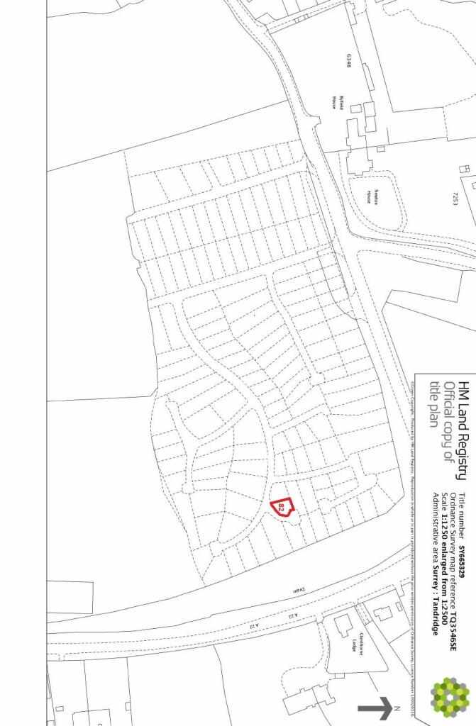
**Standout Features:**
- Large land plot, approximately 120 sqm (1,300 sqft)
- Freehold tenure, ideal for self-build potential
- Excellent location near the M25 and A22
- Strong mobile signal and fast broadband speeds
- Set in a village with average crime rates and amenities
- Auction sale with terms and conditions
Ideal for investors or those looking to create their dream home, this expansive land plot offers substantial potential in a desirable suburban area, just south of the M25 motorway. With a freehold tenure, buyers can explore self-build options or investment opportunities in a tranquil village environment supported by essential amenities such as playgrounds, sports facilities, and excellent local schools, including St Stephen's CofE Primary School, with an "Good" Ofsted rating.
However, please note there are obligations regarding the development of the land due to an overage provision, and it is crucial for prospective buyers to understand these conditions fully before bidding. Given the prime location and the growing appeal of the area, this is a rare opportunity to secure a sizable plot that promises both comfort and potential in a rapidly evolving community. Don't miss this chance to invest in your future; act quickly as land of this quality seldom remains available for long.
Land for sale in Eastbourne Road, Blindley Heath, Lingfield, Surrey, RH7 6JX, RH7 — £55,000 • 1 bed • 1 bath • 2019 ft²
Land for sale in Eastbourne Road, Blindley Heath, Lingfield, Surrey, RH7 6JX, RH7 — £83,500 • 1 bed • 1 bath • 2685 ft²
Land for sale in Eastbourne Road, Blindley Heath, Lingfield, Surrey, RH7 6JX, RH7 — £122,000 • 1 bed • 1 bath • 3927 ft²
Land for sale in Eastbourne Road, Blindley Heath, Lingfield, Surrey, RH7 6JX, RH7 — £14,000 • 1 bed • 1 bath • 592 ft²
Land for sale in West Park Road, Newchapel, Lingfield, Surrey, RH7 6HS, RH7 — £99,000 • 1 bed • 1 bath • 16013 ft²
Land for sale in Plot 2, Land at St. Piers Lane, Lingfield, RH7 — £27,000 • 1 bed • 1 bath






