**Standout Features:**
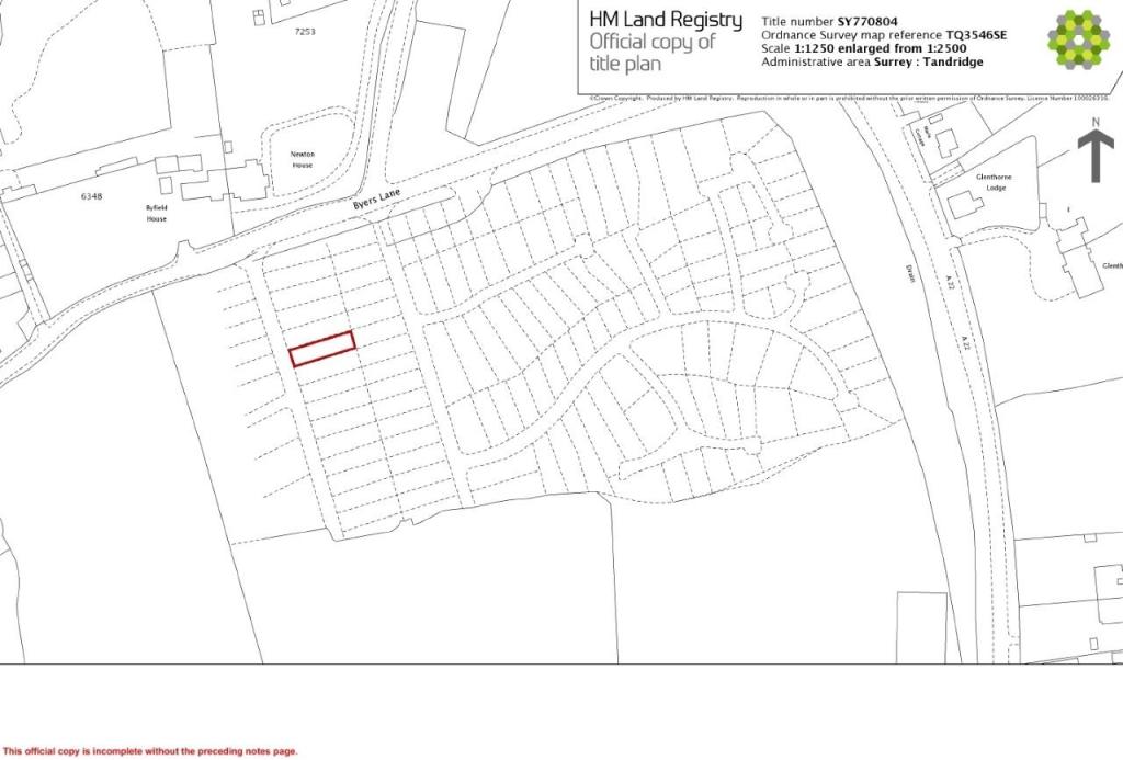
- Expansive land plot of 318 sqm (3,423 sqft).
- Freehold title, offering secure ownership.
- Great access to major roads: A22 to M25 & A23.
- Potential for various developments (STPP).
- Located close to Godstone train station for easy commuting.
**Concerns:**
- Currently lacks planning permission.
- Requires necessary consents for development.
Discover a prime opportunity in South Godstone with this impressive 318 sqm (3,423 sqft) plot of land located along Byers Lane. Priced at £40,000, this freehold site is perfectly positioned near essential transport links, including access to the A22, M25, and A23, making it ideal for investors or developers looking to unlock potential within a thriving community.
While the land does not currently have planning permission, it stands among a broader estate totaling 19.37 acres with over 280 plots already sold, indicating strong interest and market viability. With excellent mobile signal and fast broadband speeds, this area is ripe for future development—imagine a cozy residential retreat or a bustling commercial hub (subject to planning permissions). The local amenities, including schools with good ratings and leisure facilities nearby, enhance its appeal for families or those seeking a quiet suburban lifestyle. Don't miss this rare chance to invest in a growing area; act now to secure your future opportunity!
Land for sale in West Park Road, Newchapel, Lingfield, Surrey, RH7 6HS, RH7 — £99,000 • 1 bed • 1 bath • 16013 ft²
Land for sale in Eastbourne Road, Blindley Heath, Lingfield, Surrey, RH7 6JX, RH7 — £35,000 • 1 bed • 1 bath • 1300 ft²
Land for sale in Eastbourne Road, Blindley Heath, Lingfield, Surrey, RH7 6JX, RH7 — £83,500 • 1 bed • 1 bath • 2685 ft²
Land for sale in Eastbourne Road, Blindley Heath, Lingfield, Surrey, RH7 6JX, RH7 — £122,000 • 1 bed • 1 bath • 3927 ft²
Land for sale in Eastbourne Road, Blindley Heath, Lingfield, Surrey, RH7 6JX, RH7 — £55,000 • 1 bed • 1 bath • 2019 ft²
Land for sale in Land Adjacent, 42 Church Lane, Oxted, Surrey, RH8 9LB, RH8 — £100,000 • 1 bed • 1 bath






