Substantial historic home with barn conversion potential on sprawling grounds.
Grade II listed farmhouse dating from the 1600s with period features
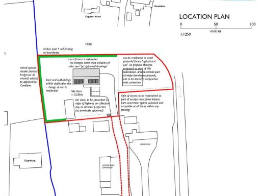
Approximately 1.53 acres (sts) with large south-facing gardens and hardstanding
Two barns with full planning permissions for conversion (refs 2019/1166, 2024/0476)
Chain free freehold sale; farmhouse approx 1,700 sqft across two floors
Oil-fired heating and private drainage (buyer to accept/service these systems)
Listed status — restrictions and approval delays likely for works
Remoter hamlet location: rural views, low crime, average mobile signal
Large plot ideal for equestrian/agricultural use or garden extension
Wilderness Farm is a characterful Grade II listed farmhouse dating from the 1600s, set within approximately 1.53 acres (sts) and backing onto open countryside. The principal house offers five reception/bedroom-sized rooms across about 1,700 sqft, period features, inglenook fireplaces and exposed timbers, plus a conservatory overlooking substantial south-facing gardens. It is offered freehold and chain free.
Two detached barns to the west come with full planning permissions (timber-framed: 2019/1166; steel-framed: 2024/0476) for conversion, presenting clear redevelopment potential for an owner-occupier wanting extra living space or an investor seeking barn-conversion returns. The plot is large with hardstanding and an existing Dutch barn; garden and yard space could be reallocated depending on use.
Buyers should note material constraints: the farmhouse is Grade II listed, so alterations will be restricted and will require listed-building consent; the property is on private drainage and heated by oil. The location is a remoter hamlet classification with average mobile signal and fast broadband — appealing for rural living but less convenient for frequent commuting.
This offering suits purchasers seeking a substantial period home with conversion upside, those wanting generous outdoor space and rural views, or investors prepared to manage listed-building constraints and conversion timelines. All planning references are available on South Norfolk County Council’s website.
4 bedroom farm house for sale in Short Green, Winfarthing, IP22 — £400,000 • 4 bed • 2 bath • 1700 ft²
Plot for sale in Short Green, Winfarthing, IP22 — £150,000 • 3 bed • 2 bath • 1388 ft²
Land for sale in Short Green, Winfarthing, IP22 — £200,000 • 3 bed • 2 bath • 20038 ft²
5 bedroom farm house for sale in Short Green, Winfarthing, IP22 — £600,000 • 5 bed • 3 bath • 2949 ft²
5 bedroom barn conversion for sale in Church Lane, Winfarthing, IP22 — £900,000 • 5 bed • 4 bath • 4691 ft²
4 bedroom detached house for sale in Norwich Road, Hardingham, NR9 — £600,000 • 4 bed • 1 bath • 5600 ft²


















































































































































































































