Income-producing South West London retail in a busy parade, ideal for long-term investors.
Freehold high‑street retail with separate upper maisonette
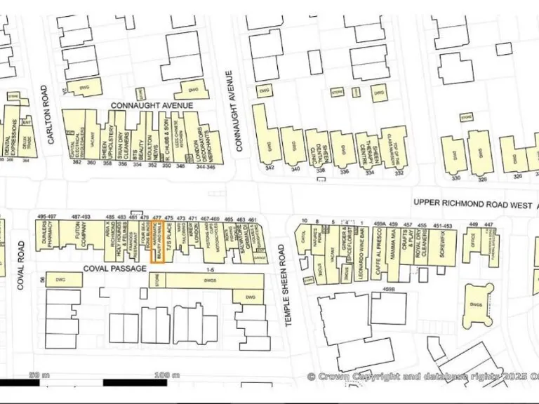
Located on Upper Richmond Road West in affluent East Sheen, this freehold high‑street retail unit with an upper maisonette offers a secure income and long‑term capital potential. The property is in a busy parade on the A205, close to Waitrose, Gail’s, Tesco Express and Boots, benefiting from strong footfall and an attractive demographic of highly qualified local residents.
The lot is offered for sale by auction with vacant possession not available until at least December 2033 (lease subject to option). Current rental income is £17,500 per annum exclusive, making this a straightforward income asset for a buy‑and‑hold investor or a purchaser seeking to add a London retail freehold to their portfolio.
The building is an Edwardian mid‑terrace with period brick façade and double glazing; retail EPC Band D and residential EPC Band D. The property comes with rear service access via Coval Passage and a separately accessed upper maisonette, adding flexibility to the asset mix. VAT is not applicable to this lot.
Notable considerations: the walls are solid brick with assumed lack of insulation, and the property dates from c.1900–1929 so maintenance and refurbishment may be required over time. The plot is small and the unit is described as large in overall size but with compact internal shoproom proportions and standard ceiling heights. Buyers should review the legal pack and tenancy documents prior to bidding at auction.
Commercial property for sale in 73 Lower Richmond Road, London, SW14 7HJ, SW14 — £185,000 • 1 bed • 1 bath • 664 ft²
3 bedroom apartment for sale in Upper Richmond Road West, London, SW14 — £1,300,000 • 3 bed • 2 bath • 897 ft²
Property for sale in Upper Richmond Road West, East Sheen, London, Richmond, SW14 7JR, SW14 — £1,300,000 • 1 bed • 1 bath • 2533 ft²
High street retail property for sale in 318 Chiswick High Road, London, W4 5TA, W4 — £1,500,000 • 3 bed • 1 bath • 3500 ft²
Commercial property for sale in 6a Frensham Drive, Putney Vale, London, SW15 3EA, SW15 — £110,000 • 1 bed • 1 bath
Commercial property for sale in 220 Upper Richmond Road London SW15 6TD, 220 Upper Richmond Road, London, SW15 — £120,000 • 1 bed • 1 bath






























