**Standout Features:**
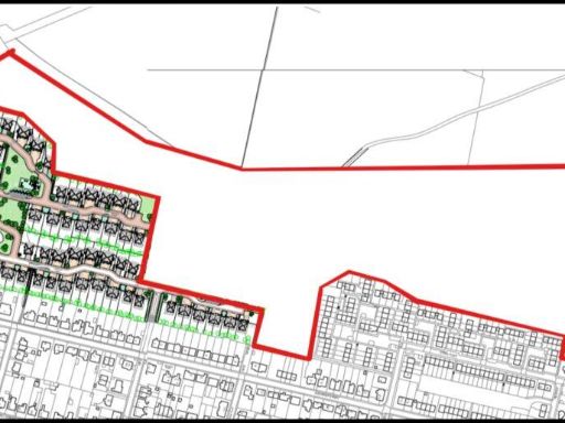
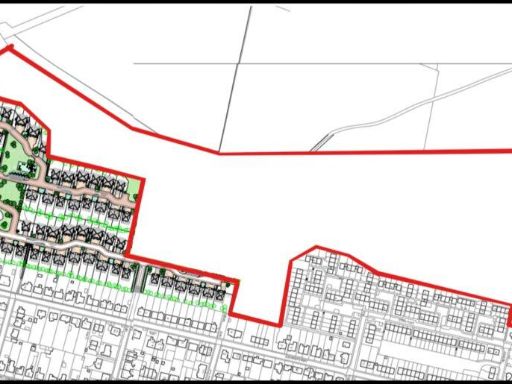
- **Approx. 2.025 Hectares (5.003 Acres)** of partially cleared land.
- **Planning Permission** for 48 semi-detached residential properties, including infrastructure and open space.
- **Proximity to Transport Links:** Adjacent to the local railway station, with a 31-minute train journey to Glasgow city centre.
- **Excellent Local Amenities:** Near Lidl supermarket, Co-op, and primary school.
- **Open Aspect:** Borders the picturesque River Garnock, offering scenic countryside views.
**Potential Downsides:**
- Site has mature trees that may require removal as part of development.
- Condition of existing land infrastructure and clearing may need attention.
- Local area is classified as "Very Deprived," requiring consideration for investment.
---
Unlock a prime opportunity in Dalry, North Ayrshire, with this expansive land parcel ideal for residential development. With planning permission already in place for **48 semi-detached homes**, this property not only promises substantial returns but also presents a unique chance to contribute to the local community in a sought-after area. The site offers fantastic transport links to Glasgow, local amenities within walking distance, and a serene riverfront setting that adds value and appeal for future residents.
Future developers can take advantage of the property's excellent positioning and the potential for landscaping enhancements that complement the **open space** concept. Although there are some mature trees, proper planning can integrate these into the design or facilitate their removal. This opportunity will be sold via **public online auction on April 16, 2025,** so act quickly to secure your stake in establishing desirable homes in a vibrant location!
Land for sale in 1, Blair Road, Dalry, KA244DE, KA24 — £235,000 • 1 bed • 1 bath
Land for sale in Land and Building At Blairland Farm, Dalry, North Ayrshire, KA24 — £1,200,000 • 1 bed • 1 bath
Land for sale in Plot 5 At Alexander Street And Gordon Street, Dunoon, PA23 7EJ, PA23 — £20,000 • 1 bed • 1 bath
Land for sale in Land at Northacre Grove, Kilwinning, KA13 7ER, KA13 — £350,000 • 1 bed • 1 bath
Land for sale in Plot 6 At Alexander Street And Gordon Street, Dunoon, PA23 7EJ, PA23 — £18,000 • 1 bed • 1 bath
Land for sale in Drakemyre Works, Dalrymple, KA24 — POA • 1 bed • 1 bath


























