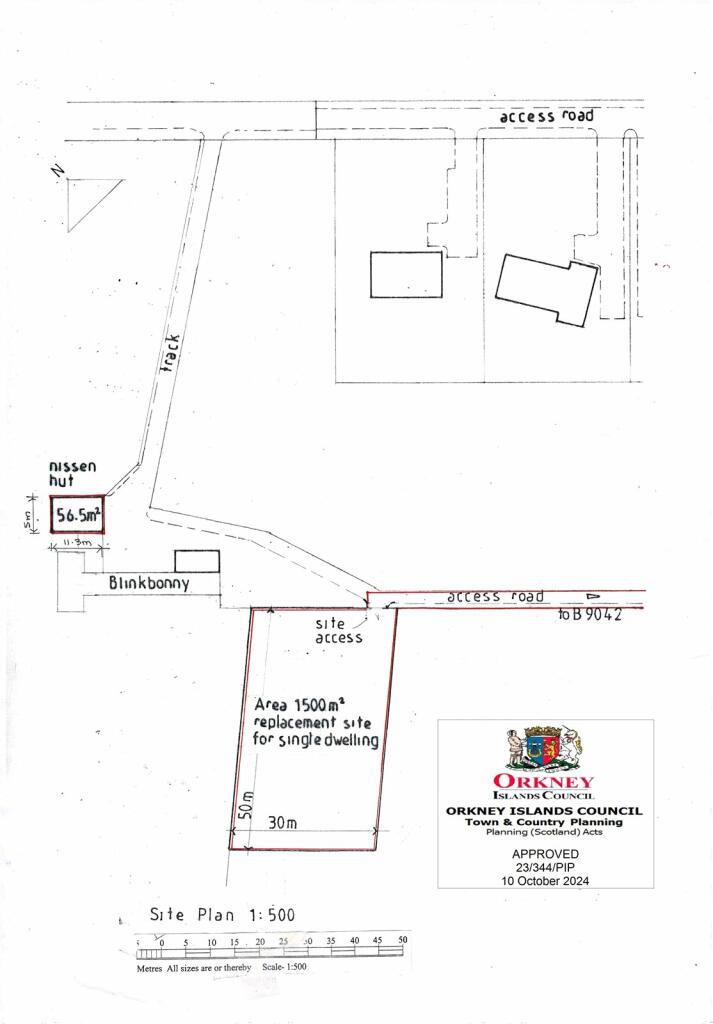
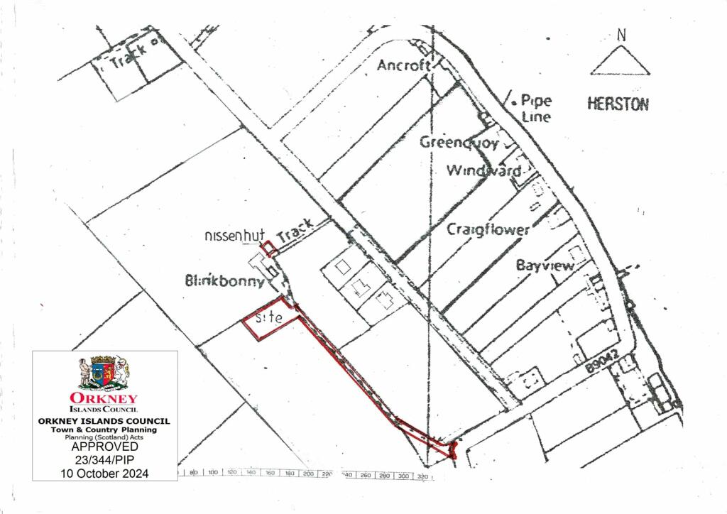
**Standout Features:**
- **Plot Size:** Expansive 1500m² (approximately 16,146 sq ft)
- **Planning Permission:** In Principle for a new dwelling (OIC ref 23/344/PIP)
- **Stunning Views:** Elevated position offering panoramic rural views
- **Accessibility:** Shared access rights with maintenance responsibilities for the private track
- **Mobile Signal:** Excellent connectivity
**Potential Considerations:**
- **Current Structure:** A Nissan hut to be removed by sellers
- **Broadband:** Very slow internet speeds
- **Community:** Located in a deprived area with rural amenities
Discover the perfect canvas for your dream home with this vast building plot in a tranquil rural setting, priced at just £50,000. This exceptional site offers Planning in Principle to construct a new dwelling, making it an ideal investment for those looking to create a personalized space amidst stunning countryside views. As you envision your future home, take note of the excellent mobile connectivity and the picturesque environment, perfect for families or buyers seeking a peaceful retreat.
While the area does face challenges such as slow broadband and socio-economic considerations, the unique location promises a serene lifestyle with immense potential for growth and development. This property represents an investment opportunity not to be missed—secure your slice of tranquility today, and let your imagination run wild!
Plot for sale in Serviced Building Site Near Midtown, Herston, South Ronaldsay, KW17 — £50,000 • 1 bed • 1 bath • 13993 ft²
Land for sale in Building Site Near Hewing, Redland Road, Firth, KW17 — £85,000 • 1 bed • 1 bath • 15069 ft²
Plot for sale in Building Site Near Church Road, St Margarets Hope, Orkney, KW17 — £35,000 • 1 bed • 1 bath
Land for sale in Building Site, The Paddock, Woodstock Road, Holm, KW17 — £75,000 • 1 bed • 1 bath • 23680 ft²
Land for sale in Building Site At The Ferns, 2.7 Acres Or Thereby, Longhope, KW16 — £45,000 • 1 bed • 1 bath
Land for sale in Melsetter View, Longhope, KW16 — £22,000 • 1 bed • 1 bath • 21780 ft²














