Development potential with outline approval and garden parking.
Detached Victorian stone house on large private plot
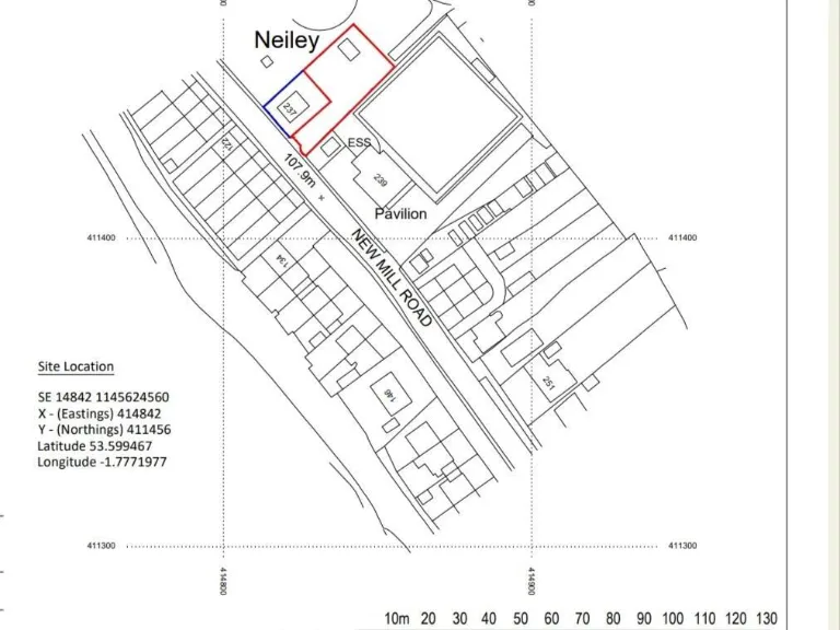
A rare combined opportunity: a three-storey Victorian stone house set on a large plot, plus a separate rear building plot with outline planning for a sizeable detached home (App No: 2025/60/91135/W). The existing house offers two double bedrooms, a generous lounge, a long rear kitchen and an extensive cellar with two storage rooms and WC — useful as storage, a utility or for potential additional accommodation subject to consents.
The rear plot benefits from outline planning passed April 2025; reserved matters will be required before development. The plot is accessed from the shared gated driveway with parking and a detached garage in position. The overall site offers strong development upside in a very affluent and well‑connected area between Honley and Brockholes, close to local shops, excellent schools and a train link to Huddersfield and beyond.
The property is sold freehold and may be split (house O/A £259,950; plot O/A £140,000). The house is traditional stone construction and double glazed, but likely has no wall insulation and carries an Energy Rating E; the interior will need updating to modern standards. The current tenancy is rolling monthly; vacant possession will be provided following the relevant notice period on a proceedable sale.
This package will suit an investor or developer seeking a plot with consent already in place, or a buyer wanting a period home with scope to extend or refurbish. Buyers should note the requirement for reserved matters for the plot, possible retrofit works to improve energy performance, and that some property details come from the vendor and require solicitor verification.
4 bedroom detached house for sale in Pinfold Lane, Fixby, Huddersfield, HD2 — £700,000 • 4 bed • 2 bath • 2288 ft²
2 bedroom bungalow for sale in Hall Ing Lane, Honley HD9 — £600,000 • 2 bed • 1 bath • 905 ft²
3 bedroom cottage for sale in Primrose Lane, Kirkburton, HD8 0QY, HD8 — £400,000 • 3 bed • 2 bath • 1120 ft²
5 bedroom detached house for sale in Westwood Avenue, Honley, Holmfirth, HD9 — £475,000 • 5 bed • 2 bath • 1292 ft²
5 bedroom detached house for sale in Burnlee Road, Holmfirth, HD9 — £975,000 • 5 bed • 4 bath • 3638 ft²
5 bedroom detached house for sale in Pike Law Lane, Golcar, Huddersfield, HD7 — £870,000 • 5 bed • 5 bath • 2297 ft²


































































































