Ready-to-develop land with driveways and garden consent near local amenities.
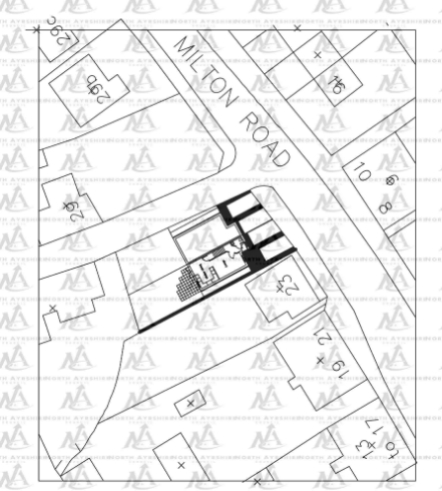
Full planning permission for two semi‑detached houses
This small infill parcel east of 25 Milton Road is offered with full planning permission for two semi‑detached homes, making it a ready-to-go development opportunity. The site includes consent for driveways and garden ground and sits directly off the pavement with existing road access and an existing single‑storey garage/outbuilding.
The plot is partially overgrown with mature trees and hedging that provide useful privacy but will require clearance and management before construction. The frontage faces the main road offering straightforward connectivity; local shops, supermarkets, playgrounds and regular bus services are all within easy reach. A737 access and routes toward Glasgow Airport are nearby, supporting commuter appeal.
Buyers should note material constraints: the site footprint is small for a two‑house scheme and lies adjacent to existing stone-built housing, which may restrict layout options and contractor access. The surrounding area is described as having higher deprivation levels, which can affect resale values and rental demand compared with stronger markets. Planning is granted, but construction, site clearance and potential boundary works will add cost.
Overall this is a practical, lower-cost entry for a developer or self-builder who wants a permitted, quick-start project in Kilbirnie. The combination of planning consent and good local amenities makes the plot attractive for a modest two-unit build, provided purchasers account for site preparation, tight footprint and local market conditions.
Land for sale in Land at Northacre Grove, Kilwinning, KA13 7ER, KA13 — £325,000 • 1 bed • 1 bath
Land for sale in Land at Northacre Grove, Kilwinning, KA13 7ER, KA13 — £350,000 • 1 bed • 1 bath
Land for sale in Plot 33-35 Irvine Road, Largs, KA30 8HS, KA30 — £150,000 • 1 bed • 1 bath
Land for sale in 1, Blair Road, Dalry, KA244DE, KA24 — £235,000 • 1 bed • 1 bath
Land for sale in Manse Street, Saltcoats, North Ayrshire, KA21 — £50,000 • 1 bed • 1 bath • 1362 ft²
Land for sale in Beith Road, Johnstone, PA5 0AZ, PA5 — £600,000 • 1 bed • 1 bath • 21684 ft²


























































