**Standout Features:**
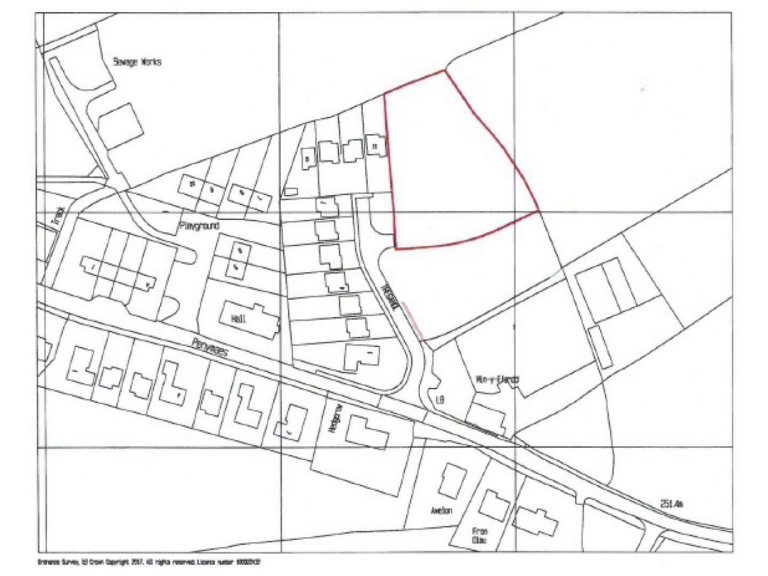
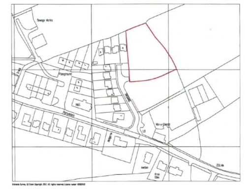
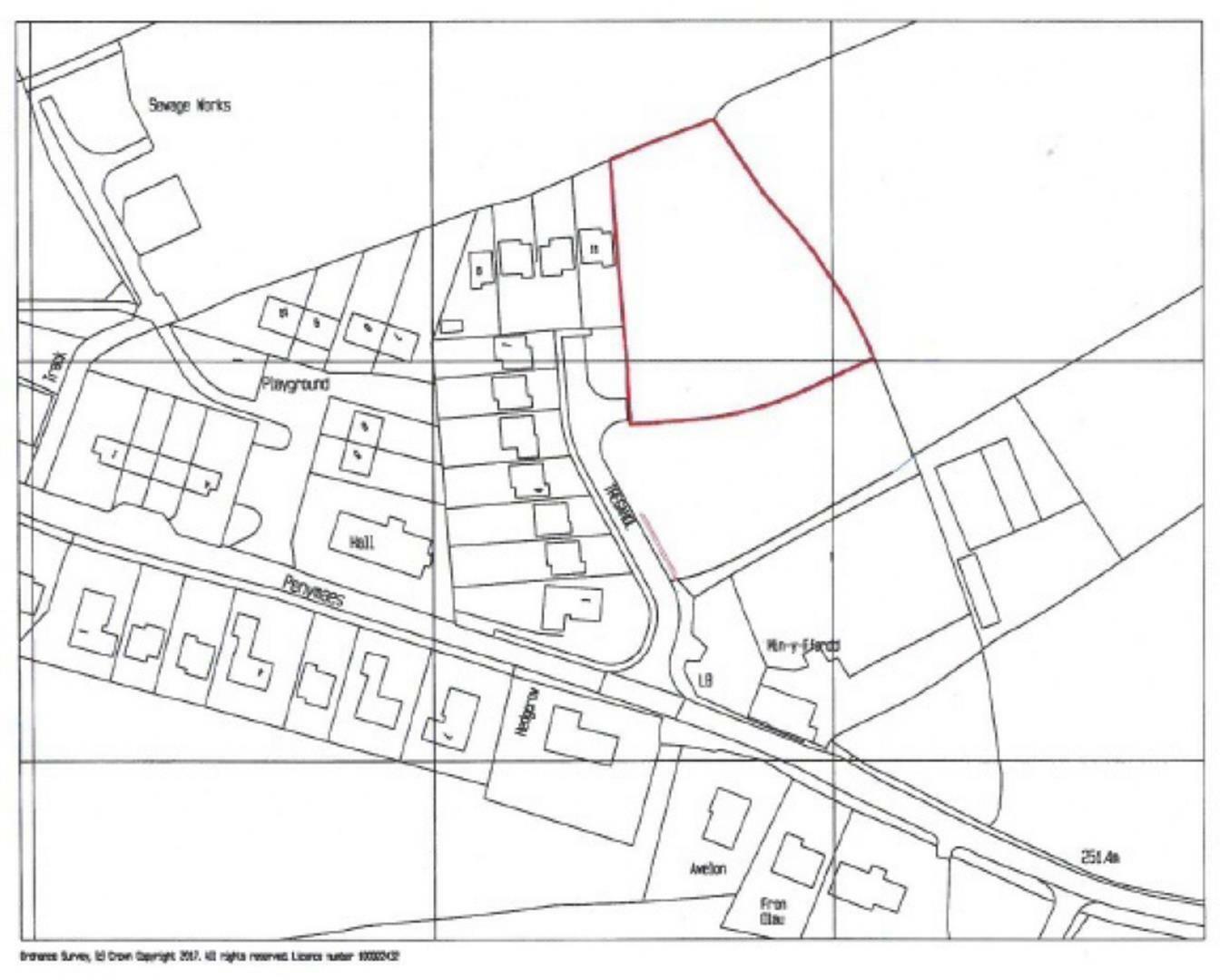
- **Planning Permission:** Outline planning granted for up to five dwellings, including one affordable unit (Planning No. P/2017/0329, Reserved Matters 20/1296/RES).
- **Size:** Large plot of approximately 0.3 hectares (0.74 acres).
- **Location:** Situated in the hamlet of Adfa, just a short distance from Newtown (9.9 miles) and Llanfair Caereinion (6.7 miles).
- **Utilities:** Mains water, sewerage, and electricity available nearby.
- **Access:** New access proposed from the highway.
- **Chain-free Sale:** Freehold title available with vacant possession upon completion.
**Summary:**
Nestled in the tranquil hamlet of Adfa, this expansive development site offers a unique opportunity for investors or developers looking to create a residential community. With outline planning permission recently granted for up to five dwellings, including an affordable housing option, this plot presents significant potential for profitable development in a largely agricultural area. The flat terrain and its serene surroundings provide a canvas for creating comfortable living spaces, just a short drive from market towns.
While the location boasts low crime rates and a picturesque rural lifestyle, buyers should be aware that broadband speeds are currently slow, which may impact remote working capabilities. This large plot not only promises versatility for future projects but also a sense of peace and connection with nature, making it especially appealing for those seeking to build a serene family residence or a community-oriented development. Don't miss the chance to capitalize on this rare offering in a growing area—schedule your viewing today!
Land for sale in Development land in Adfa, Newtown, SY16 — £175,000 • 3 bed • 1 bath • 2119 ft²
Plot for sale in Development Land at Llanfair Caereinion, Powys, SY21 — £295,000 • 1 bed • 1 bath
Land for sale in Residential Development Site at Land Adjacent Llety Piod, Foel, Welshpool, SY21 — £100,000 • 1 bed • 1 bath • 13940 ft²
Land for sale in Development Land at Llanfair Caereinion, SY21 — £450,000 • 1 bed • 1 bath
Land for sale in Land At Rock Farm, Llanllwchaiarn, Newtown, SY16 — £235,000 • 1 bed • 1 bath • 21528 ft²
Plot for sale in At Hendidley, Milford Road, Newtown, Powys, SY16 — £200,000 • 1 bed • 1 bath






















