Freehold one-acre plot with planning consent for five bungalows near the A16.
Planning permission for five detached bungalows with garages
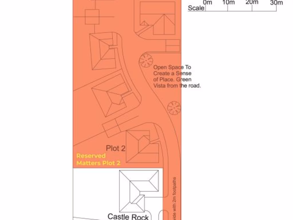
A rare residential development site in Stickney with planning permission to build five detached bungalows across an approx. 1-acre plot. Plot 2 benefits from Reserved Matters approval (S/169/00473/23); the remaining plots are covered by outline consent (S/169/1928/21) from East Lindsey District Council, providing a clear route to delivery for a small bespoke scheme.
The purchaser will own the freehold and be responsible for installing and owning the new road accessed off the A16. The vendor will retain a right of access over that road for their property (‘Castle Rock’) and will keep a separate rear parcel (marked in blue on the plan). Services have not been tested and all buyers should verify connections and capacities before exchange.
This site sits in a popular village location with easy A16 access and surrounding agricultural land. Local schools are a mix of Good and Requires Improvement ratings. There is no flood risk recorded, but the wider area scores as more deprived; this should be considered for marketing, sales values and funding options.
Offers should reflect the current planning position, the purchaser’s responsibility for road works, and the retained rights/land. Plans and sizing have been provided by the seller; buyers must satisfy themselves on measurements, build costs, and statutory checks before proceeding.
Land for sale in Land Adjacent to Maidens, Hall Lane, Stickney, Boston, PE22 — £125,000 • 1 bed • 1 bath
Land for sale in Development Site, Fen Road, Stickford, Boston, Lincolnshire, PE22 8HA, PE22 — £195,000 • 1 bed • 1 bath
Land for sale in Building Plot 2, Fen Road, Stickford, Boston, Lincolnshire, PE22 8HA, PE22 — £100,000 • 1 bed • 1 bath
Land for sale in Building Plot 1, Fen Road, Stickford, Boston, Lincolnshire, PE22 8HA, PE22 — £100,000 • 1 bed • 1 bath
Land for sale in Main Road, Stickney, Lincolnshire, PE22 8AE, PE22 — £79,950 • 1 bed • 1 bath
3 bedroom detached house for sale in Longfields, Stickney, PE22 — £410,000 • 3 bed • 3 bath • 1342 ft²






















