**Standout Features:**
- Two spacious building plots available
- Panoramic mountain views
- Outline planning permission secured (reference E/39321)
- Quiet rural location in Glanamman
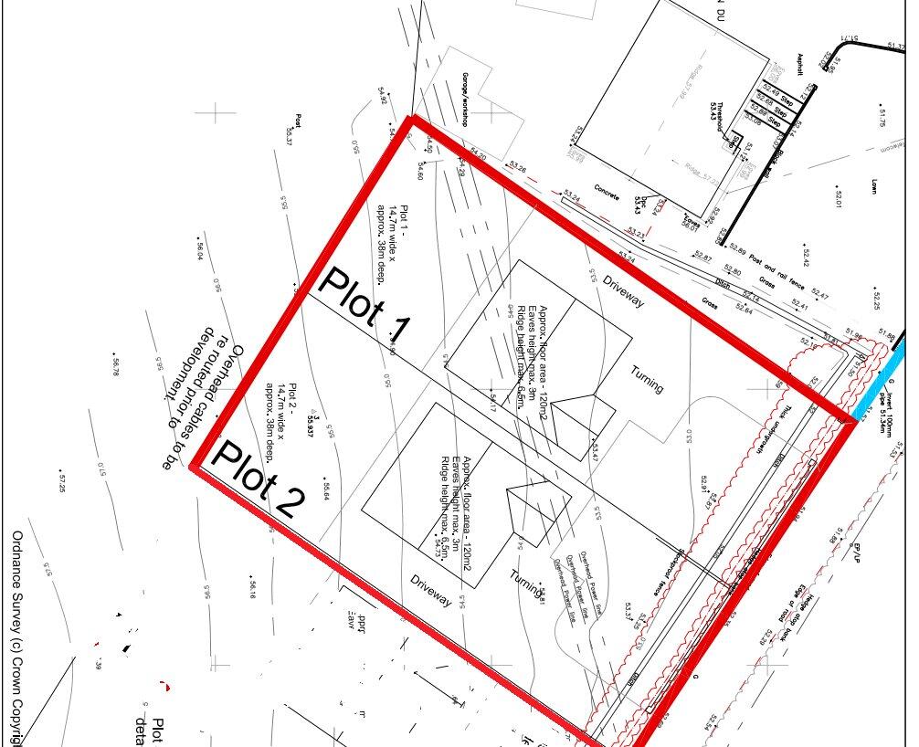
- Large plot sizes: approximately 14.7m width x 38m depth
- Excellent mobile signal and fast broadband speeds
- Low crime rate in the area
**Potential Concerns:**
- Set in a very deprived area
- No immediate amenities or council tax details provided
Discover a rare opportunity to build your dream home in the picturesque village of Glanamman. These expansive building plots, each measuring approximately 14.7 meters by 38 meters, feature stunning views of the surrounding mountains and have already secured outline planning permission (planning reference number: E/39321) for your development aspirations. Set on a tranquil country road, these plots allow for bespoke design tailored to your lifestyle needs—whether you're aiming for a charming retreat or a modern residence.
Enjoy the perfect blend of seclusion and accessibility in a serene setting, with the delightful sounds of nature serving as your daily soundtrack. While the surrounding area may face challenges with deprivation and amenities, the potential for a peaceful rural lifestyle awaits those ready to invest in their future. Secure your slice of paradise in Glanamman today—opportunities like this do not last long!
Land for sale in Llwyncelyn Road, Glanamman, Ammanford, Carmarthenshire, SA18 — £65,000 • 1 bed • 1 bath
Land for sale in Heol Cwmaman, Glanamman, Ammanford, SA18 — £33,000 • 1 bed • 1 bath
Plot for sale in Tirycoed Road, Glanamman, Ammanford, SA18 — £65,000 • 1 bed • 1 bath
Detached house for sale in Glynderi, Glanamman, Ammanford, Carmarthenshire., SA18 — £77,000 • 1 bed • 1 bath • 894 ft²
Plot for sale in Penyrallt, Garnant, Ammanford, SA18 — £110,000 • 1 bed • 1 bath
Land for sale in College Street, Ammanford, Carmarthenshire, SA18 — £350,000 • 1 bed • 1 bath


















