Secluded coastal-adjacent site with planning history and clear redevelopment potential.
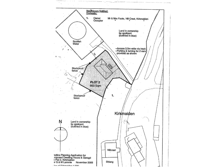
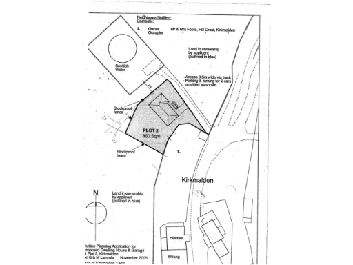
Freehold rural plot approximately 9,264 sq ft with countryside and Luce Bay views
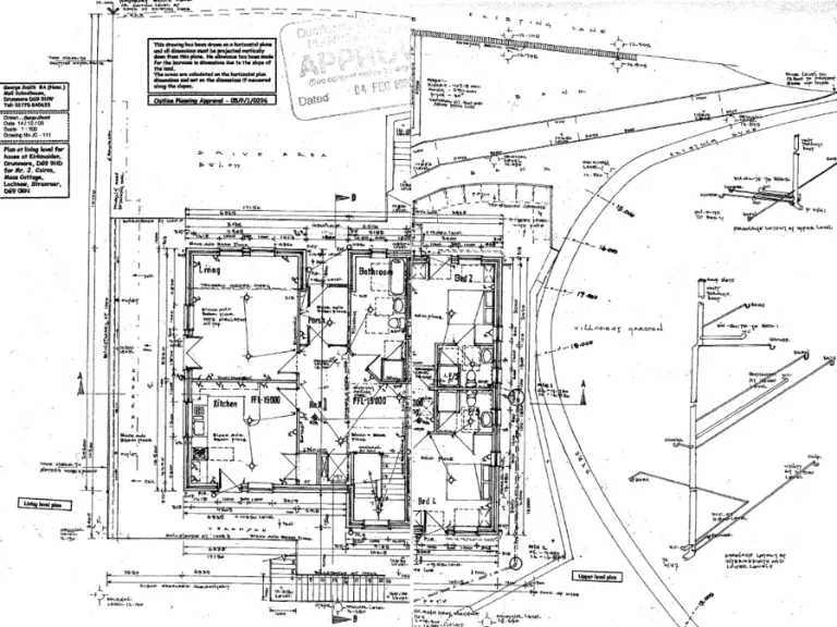
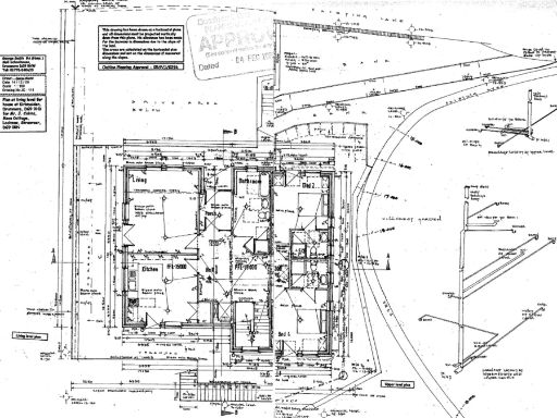
Previous planning permission granted in 2005 (ref 05/P/1/0296) — likely lapsed
Site contains temporary storage containers, debris and areas of scrub requiring clearance
Informal vehicular access via a basic track; formal access likely required
Limited on-site services; utilities would need connection and investment
Excellent mobile signal; broadband speeds average
Area classed as remoter communities with high local deprivation — affects services and market
This freehold parcel sits in the hamlet of Kirkmaiden, a couple of miles from Drummore, with open views over farmland toward Luce Bay. The site measures 9,264 sq ft and is described as roughly level to gently sloping, with informal vehicular access via a basic track. Mobile signal is excellent; broadband speeds are average. Flood risk is recorded as no risk.
Previous planning permission for a single residential dwelling was granted in 2005 (ref: 05/P/1/0296). That consent appears historical and buyers should assume it has lapsed; any residential or commercial proposal will require fresh consent from the local authority. The plot currently contains temporary storage containers, some debris and scrub, and would need clearance and investment to reach residential standard or to support a commercial use.
This site will suit a buyer seeking a smallholding, amenity land, or an investment for low-density rural development, subject to planning. Practical considerations include limited on-site services and informal access arrangements; bringing utilities and a formal access to standard will be a material cost. The surrounding area is classified as remoter communities and has higher levels of deprivation, factors to weigh for long-term value and planning discussions.
If you value seclusion and wide countryside outlooks and are prepared to manage site preparation and planning, this plot offers a rare rural opportunity near Luce Bay. For any precise development proposals, early pre-application advice from the local authority is recommended.
Land for sale in Meikle Float Steading, Sandhead, DG9 9LF, DG9 — £250,000 • 1 bed • 1 bath
Plot for sale in Damknowe Development Site, Drummore, Stranraer, DG9 9HG, DG9 — £100,000 • 2 bed • 1 bath
Residential development for sale in Development Site, Sandhead, DG9 9JS, DG9 — £150,000 • 4 bed • 1 bath
1 bedroom detached house for sale in Knowes Cottage, Drummore, DG9 9HL, DG9 — £125,000 • 1 bed • 1 bath
2 bedroom cottage for sale in Sandhead, Stranraer, DG9 — £110,000 • 2 bed • 1 bath • 1044 ft²
Land for sale in Land at Balgowan Farm, Ardwell, Stranraer, Dumfries and Galloway, South West Scotland, DG9 — £1,000,000 • 1 bed • 1 bath • 1246 ft²


































